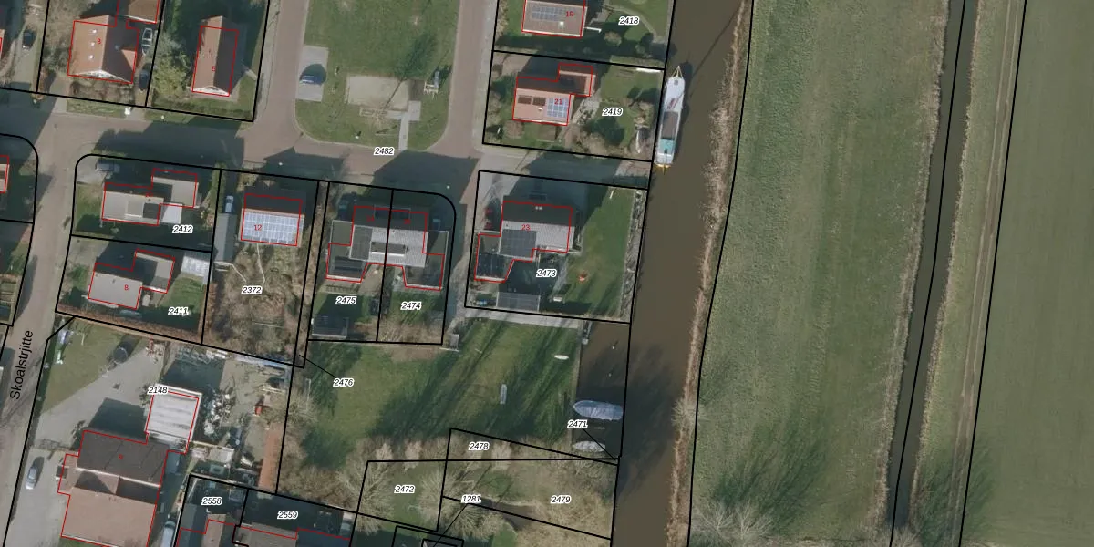
Perceel: HEE04-D-2473
KadastraleKaart.com kan meer dan je denktOntdek meer ›
Filter op bestemming 50+ datasets Eigendomsdata in één klik Percelen CRM
753 m2 - 111 m
Eigenaar opvragen
HEE04-D-2473 (Heeg)
- 8617 LJ
mif72 vMV C KKUfoxUUpgrade naar KadastraleKaart Pro
Bekijk op Street View
Download DWG/DXF/Excel
IPvEXm89 tmbhUpgrade naar KadastraleKaart Pro
WalxJ45uA7Y8AaR7OUpgrade naar KadastraleKaart Pro
54PaIhPfiAj4dPI0tV6X8Upgrade naar KadastraleKaart Pro
pohKre9Iq 5YkPCUpgrade naar KadastraleKaart Pro
BWIIm0Wp mEMvxGL4Upgrade naar KadastraleKaart Pro
jOm0Cdo LsaNlGlVK3x RnNUpgrade naar KadastraleKaart Pro
rfk6 u0tdSAkOy9n9kj7Upgrade naar KadastraleKaart Pro
h 0 7UVkdkLqPZQUpgrade naar KadastraleKaart Pro
XT6s ObCxHCemUpgrade naar KadastraleKaart Pro
S 5vp87Upgrade naar KadastraleKaart Pro
28/06/2010

Percelen
Gebruik de zoekbalk of klik op een perceel om informatie over het perceel te bekijken.