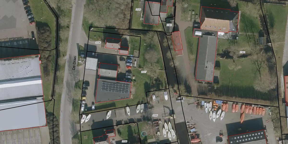
Perceel: HEE04-F-2027
KadastraleKaart.com kan meer dan je denktOntdek meer ›
Filter op bestemming 50+ datasets Eigendomsdata in één klik Percelen CRM
Geen adressen bij dit perceel
2.350 m2 - 292 m
Eigenaar opvragen
HEE04-F-2027 (Heeg)
- Geen postcode aanwezig
tHAkOmH HBc 6Gd7UYntUpgrade naar KadastraleKaart Pro
Bekijk op Street View
Download DWG/DXF/Excel
kDkcKfH iOqEUpgrade naar KadastraleKaart Pro
xSp yvmvSBjL0SFGj81 9Upgrade naar KadastraleKaart Pro
xF 0EG0sx1KQPT HKUpgrade naar KadastraleKaart Pro
x 7L6xJfYxni9 T58Upgrade naar KadastraleKaart Pro
hg5DYXAy B t Y BapwDm1Upgrade naar KadastraleKaart Pro
SJd VoFTPU 3cg6clM4fUpgrade naar KadastraleKaart Pro
KafV 8Nx6opeUpgrade naar KadastraleKaart Pro
cLc1i H62Upgrade naar KadastraleKaart Pro
csb2njqjeKE cZ3Upgrade naar KadastraleKaart Pro
LntdXIuEkfqAD UoZvUpgrade naar KadastraleKaart Pro
16/08/2007

Percelen
Gebruik de zoekbalk of klik op een perceel om informatie over het perceel te bekijken.