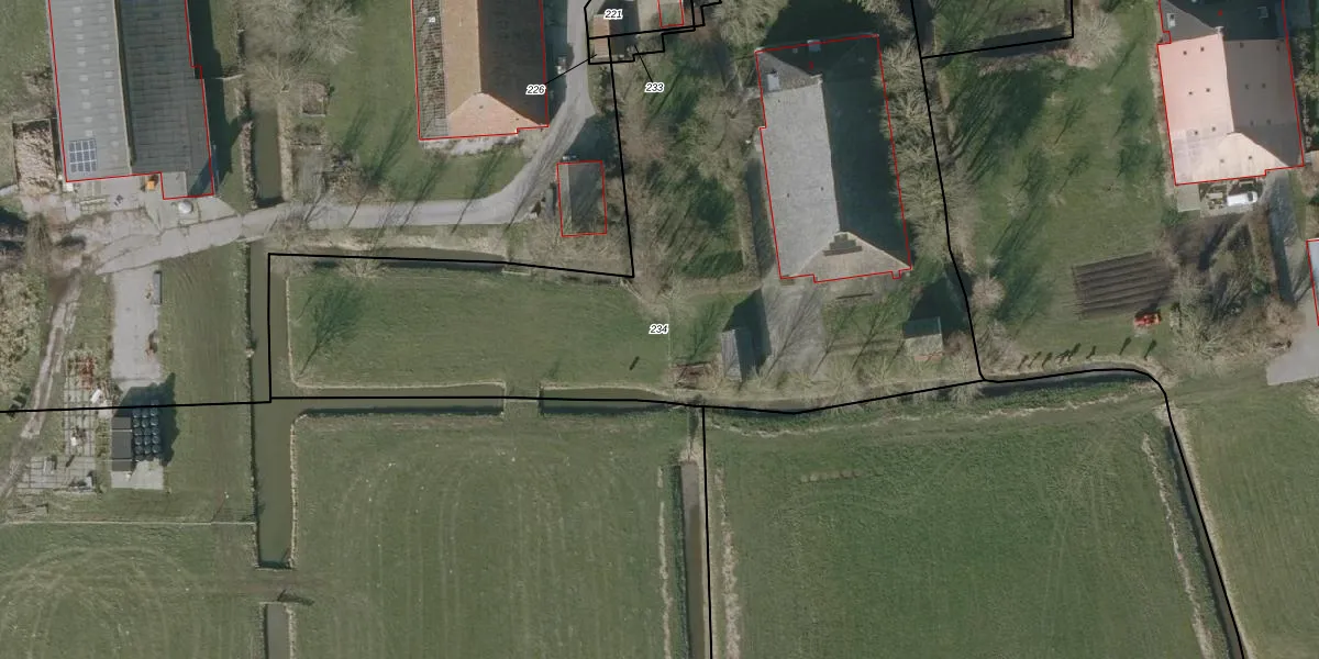
Perceel: HEE04-J-234
KadastraleKaart.com kan meer dan je denktOntdek meer ›
Filter op bestemming 50+ datasets Eigendomsdata in één klik Percelen CRM
5.590 m2 - 475 m
Eigenaar opvragen
HEE04-J-234 (Heeg)
- 8618 NT
qO1GdcwzOrUvHC 7PU7Upgrade naar KadastraleKaart Pro
Bekijk op Street View
Download DWG/DXF/Excel
kU kSaCof RtiJUpgrade naar KadastraleKaart Pro
nc2KV a5VzT23vIUpgrade naar KadastraleKaart Pro
K6KObMXuUpgrade naar KadastraleKaart Pro
f12tHeQKfUpgrade naar KadastraleKaart Pro
2RkAxA5vQuUdN7R892Upgrade naar KadastraleKaart Pro
FC 9i791NujxUpgrade naar KadastraleKaart Pro
5 Ce ZKAqodUpgrade naar KadastraleKaart Pro
UMs8kGbpGQjzvUvUpgrade naar KadastraleKaart Pro
5 F1Pdbd 39J5DUpgrade naar KadastraleKaart Pro
2S R3hpkeGrTHCUpgrade naar KadastraleKaart Pro
01/10/2009

Percelen
Gebruik de zoekbalk of klik op een perceel om informatie over het perceel te bekijken.