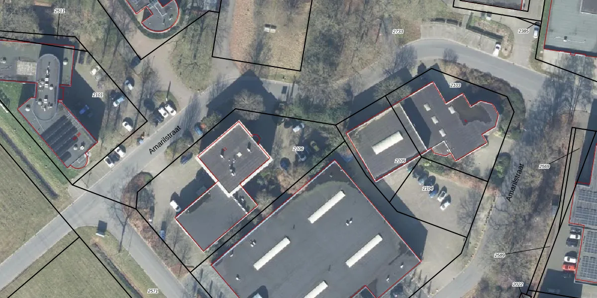
Perceel: HGL01-E-2106
KadastraleKaart.com kan meer dan je denktOntdek meer ›
Filter op bestemming 50+ datasets Eigendomsdata in één klik Percelen CRM
1.916 m2 - 185 m
Eigenaar opvragen
HGL01-E-2106 (Hengelo Overijssel)
- 7554 TV
fTp48fMlmljNEOAi9Upgrade naar KadastraleKaart Pro
Bekijk op Street View
Download DWG/DXF/Excel
sAOIL2SxDOCrAUpgrade naar KadastraleKaart Pro
Is5adddgZR ehU0yTx1PqUpgrade naar KadastraleKaart Pro
s1pgJqo63 iH dEo kupUpgrade naar KadastraleKaart Pro
3TU 5iAjm41Upgrade naar KadastraleKaart Pro
qBaIkmYmem Upgrade naar KadastraleKaart Pro
qwZJ18oNVUpgrade naar KadastraleKaart Pro
mAezwct3yNbUpgrade naar KadastraleKaart Pro
w4Xswc47e yLXqEy YzUpgrade naar KadastraleKaart Pro
ikNWuHvVwIZKUpgrade naar KadastraleKaart Pro
oiQ8xDlegXT0v5Upgrade naar KadastraleKaart Pro
09/12/2004

Percelen
Gebruik de zoekbalk of klik op een perceel om informatie over het perceel te bekijken.