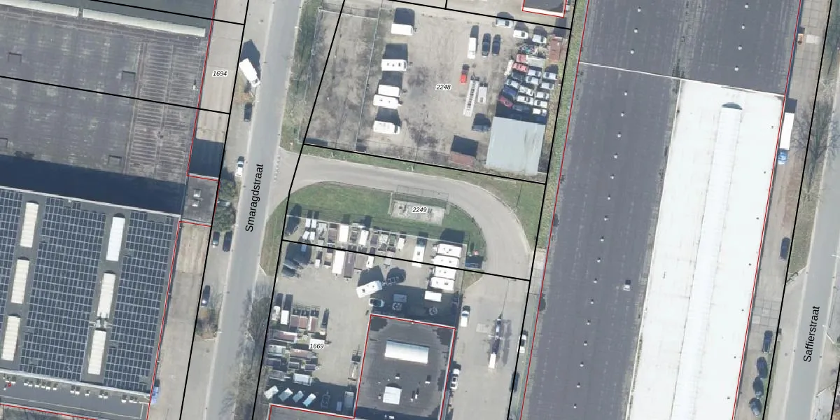
Perceel: HGL01-E-2249
KadastraleKaart.com kan meer dan je denktOntdek meer ›
Filter op bestemming 50+ datasets Eigendomsdata in één klik Percelen CRM
Geen adressen bij dit perceel
1.391 m2 - 165 m
Eigenaar opvragen
HGL01-E-2249 (Hengelo Overijssel)
- Geen postcode aanwezig
72CvLdZHDNTZ2x5G8N8Upgrade naar KadastraleKaart Pro
Bekijk op Street View
Download DWG/DXF/Excel
gAyLU1WvEijsWzruc 1Upgrade naar KadastraleKaart Pro
anCAl8u z4w4s 2Upgrade naar KadastraleKaart Pro
TJQT7xR8Upgrade naar KadastraleKaart Pro
Qj GGZvGL0Upgrade naar KadastraleKaart Pro
3Xa69DI38 H0rov0Upgrade naar KadastraleKaart Pro
dT1PObQaK6sUpgrade naar KadastraleKaart Pro
Cfi1rTe4Y7MtoBpqMRoYUpgrade naar KadastraleKaart Pro
R09fjgS9wUpgrade naar KadastraleKaart Pro
xTTZTybQo VkNUpgrade naar KadastraleKaart Pro
sU1 SHrr Upgrade naar KadastraleKaart Pro
14/04/2003

Percelen
Gebruik de zoekbalk of klik op een perceel om informatie over het perceel te bekijken.