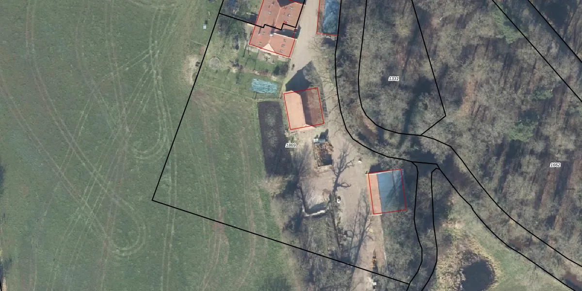
Perceel: HGL01-F-1869
KadastraleKaart.com kan meer dan je denktOntdek meer ›
Filter op bestemming 50+ datasets Eigendomsdata in één klik Percelen CRM
Geen adressen bij dit perceel
5.295 m2 - 357 m
Eigenaar opvragen
HGL01-F-1869 (Hengelo Overijssel)
- Geen postcode aanwezig
cYbZE3Wn VB Sf m8Upgrade naar KadastraleKaart Pro
Bekijk op Street View
Download DWG/DXF/Excel
Q V4lNZVo gv2Z9UI0QuUpgrade naar KadastraleKaart Pro
X3Qpvi0cQUpgrade naar KadastraleKaart Pro
BXH35fQuUpgrade naar KadastraleKaart Pro
YrIgamdEG pBtInVlyeke Upgrade naar KadastraleKaart Pro
RaYCgmR7tuzfktjtMgunUpgrade naar KadastraleKaart Pro
iEfq8eU3Upgrade naar KadastraleKaart Pro
9ZPU1MjMZ Upgrade naar KadastraleKaart Pro
r3l2Q v xc3l19W7ZRLUpgrade naar KadastraleKaart Pro
26manVBmqKI7pE Upgrade naar KadastraleKaart Pro
E86cTKyuK VQMtYT8IUpgrade naar KadastraleKaart Pro
15/03/2017

Percelen
Gebruik de zoekbalk of klik op een perceel om informatie over het perceel te bekijken.