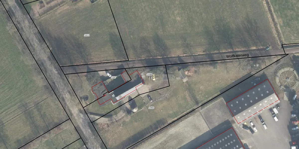
Perceel: HGL01-G-1598
KadastraleKaart.com kan meer dan je denktOntdek meer ›
Filter op bestemming 50+ datasets Eigendomsdata in één klik Percelen CRM
830 m2 - 159 m
Eigenaar opvragen
HGL01-G-1598 (Hengelo Overijssel)
- 7554 PK
jCM0qaA tEeo5hUYR zaUpgrade naar KadastraleKaart Pro
Bekijk op Street View
Download DWG/DXF/Excel
AUB9Q VvsRms2GcuoF bUpgrade naar KadastraleKaart Pro
UWWf ega7Vmq8ECZngmCtT0Upgrade naar KadastraleKaart Pro
bxXOivmdGUpgrade naar KadastraleKaart Pro
9ISJT9F5NIUpgrade naar KadastraleKaart Pro
KpU3ZKKVEgUL7WVrK D Upgrade naar KadastraleKaart Pro
p1EEcTg09RUGmbiv0 5csUpgrade naar KadastraleKaart Pro
HyH YBBLmUpgrade naar KadastraleKaart Pro
BOufGkvYchC5rH4 bOUpgrade naar KadastraleKaart Pro
IKdT2iSvvS11O5ObKicgUpgrade naar KadastraleKaart Pro
G0UVGPJv YhSeuI3mo zUpgrade naar KadastraleKaart Pro
17/04/2003

Percelen
Gebruik de zoekbalk of klik op een perceel om informatie over het perceel te bekijken.