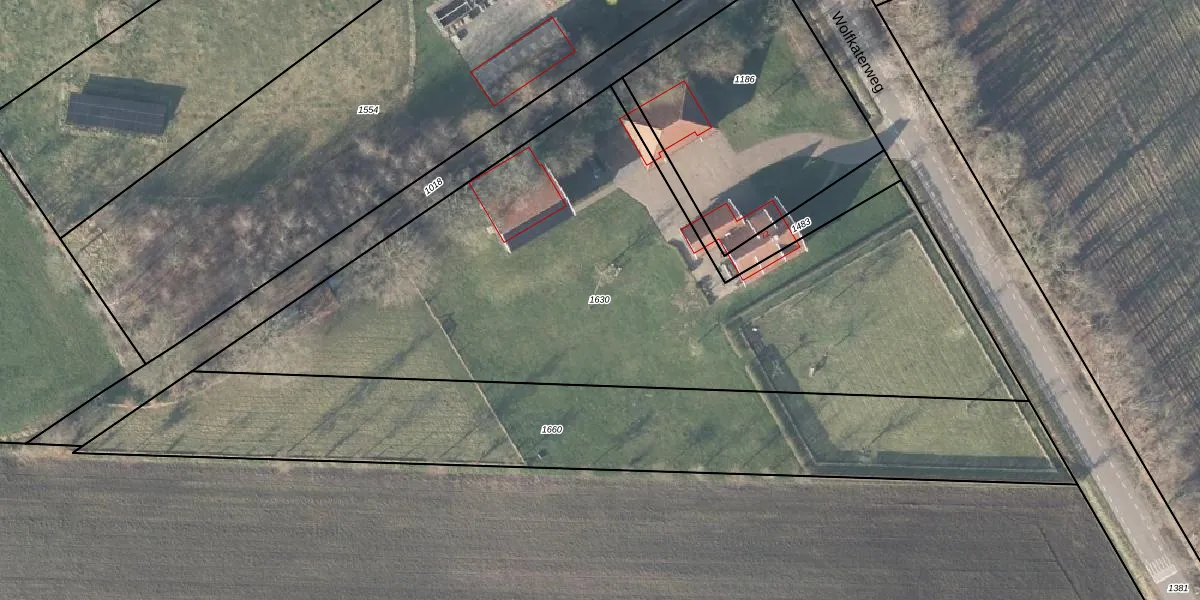
Perceel: HGL01-G-1630
KadastraleKaart.com kan meer dan je denktOntdek meer ›
Filter op bestemming 50+ datasets Eigendomsdata in één klik Percelen CRM
Geen adressen bij dit perceel
3.580 m2 - 339 m
Eigenaar opvragen
HGL01-G-1630 (Hengelo Overijssel)
- Geen postcode aanwezig
KxIz6ymTu653uHZ7Upgrade naar KadastraleKaart Pro
Bekijk op Street View
Download DWG/DXF/Excel
LZnX qIr9Upgrade naar KadastraleKaart Pro
UBjud4u ujpgZKPoPa Upgrade naar KadastraleKaart Pro
gzJPOOPPUpgrade naar KadastraleKaart Pro
WLNWMnESFm3V02 kQUpgrade naar KadastraleKaart Pro
JVbz6YxOrUpgrade naar KadastraleKaart Pro
8VFXj Nda gUpgrade naar KadastraleKaart Pro
oqmXr4CLNANbKd5ki 8jLUpgrade naar KadastraleKaart Pro
ELADReqiJXUpgrade naar KadastraleKaart Pro
3L ki qJrRUFvJUpgrade naar KadastraleKaart Pro
LkTNtYTzxH pRQsOs9agJZmUpgrade naar KadastraleKaart Pro
01/12/2014

Percelen
Gebruik de zoekbalk of klik op een perceel om informatie over het perceel te bekijken.