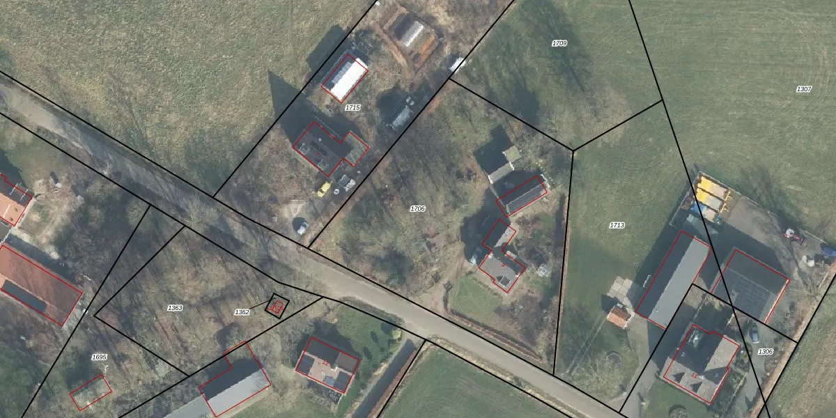
Perceel: HGL01-G-1706
KadastraleKaart.com kan meer dan je denktOntdek meer ›
Filter op bestemming 50+ datasets Eigendomsdata in één klik Percelen CRM
2.525 m2 - 208 m
Eigenaar opvragen
HGL01-G-1706 (Hengelo Overijssel)
- 7554 PS
LaWr206h2 e5fh0wykuBbDvubZwITUpgrade naar KadastraleKaart Pro
Verkoopprijs opvragen
Bekijk op Street View
Download DWG/DXF/Excel
aMon W1nBACQ MXFf12Upgrade naar KadastraleKaart Pro
oFC6f z OUpgrade naar KadastraleKaart Pro
JWG6Y1oULufovUpgrade naar KadastraleKaart Pro
Y9dKhp151dbt6jcAUpgrade naar KadastraleKaart Pro
E diMs8g55TQaFUpgrade naar KadastraleKaart Pro
diBEaB8a Un8gUpgrade naar KadastraleKaart Pro
dKGJEfsqAYxdytMPSmtygUpgrade naar KadastraleKaart Pro
okd8 o rvquUEh3Upgrade naar KadastraleKaart Pro
4hKu6MZGn XFfoyQ08PNjUpgrade naar KadastraleKaart Pro
GEMaKEDUvsJ 5OAcezUpgrade naar KadastraleKaart Pro
27/11/2014

Percelen
Gebruik de zoekbalk of klik op een perceel om informatie over het perceel te bekijken.