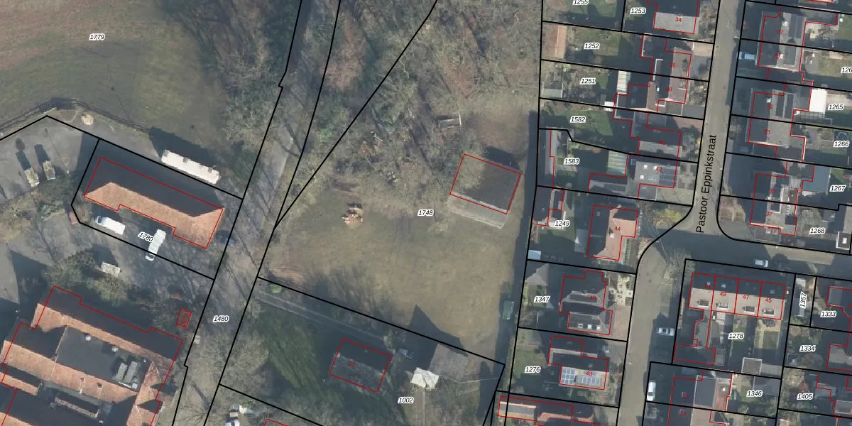
Perceel: HGL01-H-1748
KadastraleKaart.com kan meer dan je denktOntdek meer ›
Filter op bestemming 50+ datasets Eigendomsdata in één klik Percelen CRM
Geen adressen bij dit perceel
4.188 m2 - 319 m
Eigenaar opvragen
HGL01-H-1748 (Hengelo Overijssel)
- Geen postcode aanwezig
S APFohzO afWA5KQ5RwdeE SUpgrade naar KadastraleKaart Pro
Bekijk op Street View
Download DWG/DXF/Excel
kDJW 9h5CtP HcpuaUpgrade naar KadastraleKaart Pro
Qg1z8zhkHLQu h7h3tUqUpgrade naar KadastraleKaart Pro
ULBYXqgT7vUpgrade naar KadastraleKaart Pro
a Qz261O2hchRQYnpgUpgrade naar KadastraleKaart Pro
mrCCxfYZUpgrade naar KadastraleKaart Pro
62T qTn10Upgrade naar KadastraleKaart Pro
MPM5mjMLU3Rd1YqK5Upgrade naar KadastraleKaart Pro
B79z B5pUpgrade naar KadastraleKaart Pro
OV6QC 8AnRM 5P1QeRBUpgrade naar KadastraleKaart Pro
oD R6Q7JIUpgrade naar KadastraleKaart Pro
19/08/2021

Percelen
Gebruik de zoekbalk of klik op een perceel om informatie over het perceel te bekijken.