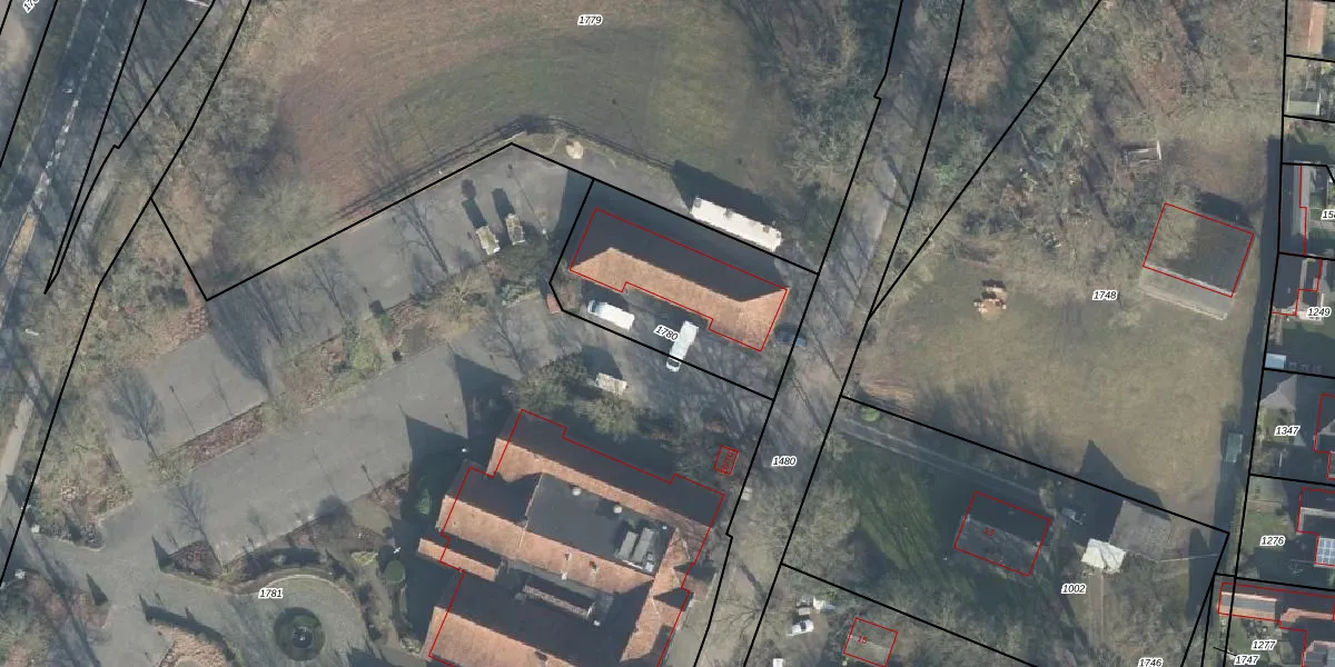
Perceel: HGL01-H-1780
KadastraleKaart.com kan meer dan je denktOntdek meer ›
Filter op bestemming 50+ datasets Eigendomsdata in één klik Percelen CRM
Geen adressen bij dit perceel
738 m2 - 113 m
Eigenaar opvragen
HGL01-H-1780 (Hengelo Overijssel)
- Geen postcode aanwezig
mY mfg4FyEouIQQNpkOMYJ4QzUpgrade naar KadastraleKaart Pro
Bekijk op Street View
Download DWG/DXF/Excel
R 8N 6A0T 6Dg5M0Upgrade naar KadastraleKaart Pro
HfBi1v 8prv 2 P Upgrade naar KadastraleKaart Pro
BLv1GE 7G 4Upgrade naar KadastraleKaart Pro
nDXEXL OZnqNmbbKc6TUpgrade naar KadastraleKaart Pro
0C0uukMh1jBsTbvlzjFY0PUpgrade naar KadastraleKaart Pro
IDs6eK2p2n Ta77sUpgrade naar KadastraleKaart Pro
t FSPmse rPaSg dnW b4WUpgrade naar KadastraleKaart Pro
Tbkt6CYiYfH 3v 3Upgrade naar KadastraleKaart Pro
o V8DKSZ62fqAL Upgrade naar KadastraleKaart Pro
TZTevUYaF3 8bMBOUwYUpgrade naar KadastraleKaart Pro
11/07/2024

Percelen
Gebruik de zoekbalk of klik op een perceel om informatie over het perceel te bekijken.