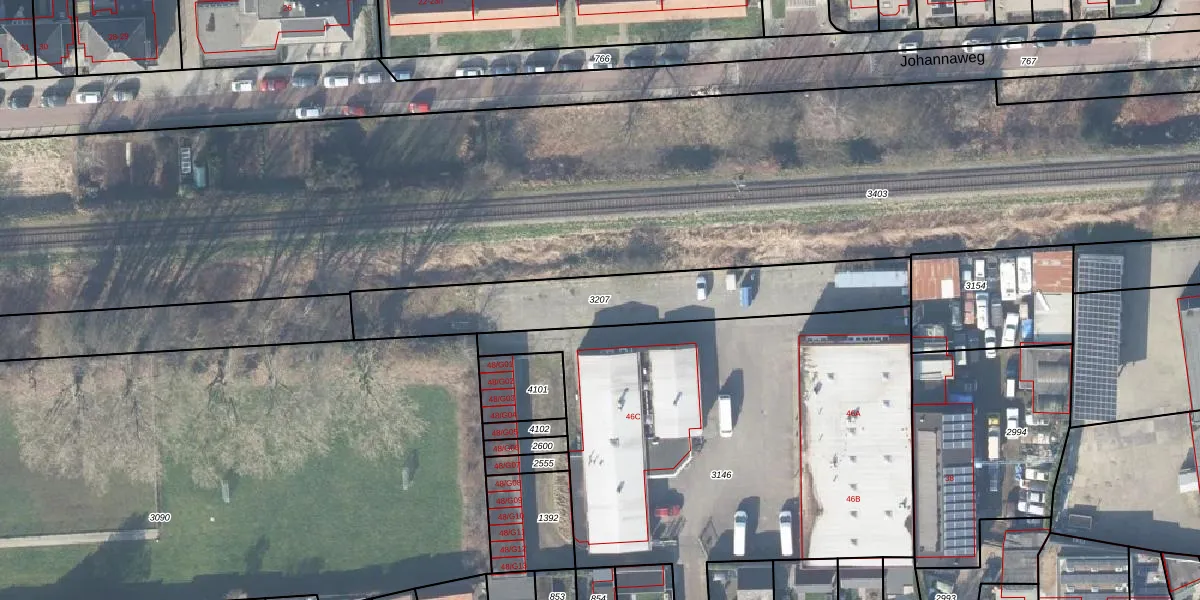
Perceel: HGL01-I-3207
KadastraleKaart.com kan meer dan je denktOntdek meer ›
Filter op bestemming 50+ datasets Eigendomsdata in één klik Percelen CRM
Geen adressen bij dit perceel
777 m2 - 203 m
Eigenaar opvragen
HGL01-I-3207 (Hengelo Overijssel)
- Geen postcode aanwezig
xxMSRcKBHxkmE4gQDaawWZUpgrade naar KadastraleKaart Pro
Bekijk op Street View
Download DWG/DXF/Excel
RyFvkZuGPUpgrade naar KadastraleKaart Pro
y1w6VWCEUpgrade naar KadastraleKaart Pro
kZfBu XC07w1tnUpgrade naar KadastraleKaart Pro
LCqW2Oy3I3CjnLW07Upgrade naar KadastraleKaart Pro
3 q6orKT GyBjH2qwUpgrade naar KadastraleKaart Pro
bk56WLLjxhitUpgrade naar KadastraleKaart Pro
p9MHEJT7aiVIEhnmTEUpgrade naar KadastraleKaart Pro
vlPm96Y cDa8QWqv rfZVUpgrade naar KadastraleKaart Pro
x ZTYc493TlUpgrade naar KadastraleKaart Pro
i87hh Ys0YTeUpgrade naar KadastraleKaart Pro
14/09/2006

Percelen
Gebruik de zoekbalk of klik op een perceel om informatie over het perceel te bekijken.