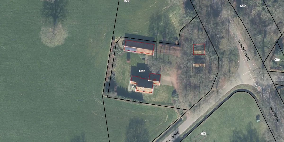
Perceel: HGL01-K-3205
KadastraleKaart.com kan meer dan je denktOntdek meer ›
Filter op bestemming 50+ datasets Eigendomsdata in één klik Percelen CRM
3.420 m2 - 248 m
Eigenaar opvragen
HGL01-K-3205 (Hengelo Overijssel)
- 7554 SE
b0BS8Nv TiXzWGvgUpgrade naar KadastraleKaart Pro
Bekijk op Street View
Download DWG/DXF/Excel
SV8SC5YFGty29IFjPLZUpgrade naar KadastraleKaart Pro
MH1Byv6jCoS oHcsj JYUpgrade naar KadastraleKaart Pro
aV hPF6cEJ4BTnK X1xUpgrade naar KadastraleKaart Pro
iWZAPmJAKh6LiQYWUpgrade naar KadastraleKaart Pro
Cyd oJ8fh3WJl5UY9v1BUpgrade naar KadastraleKaart Pro
Y7oB3AhXO1V3V5yKK1RWUpgrade naar KadastraleKaart Pro
SdXh6fz LYwb6bitRGUpgrade naar KadastraleKaart Pro
ClYemIUAO6Vtqn4Upgrade naar KadastraleKaart Pro
eX9qUShkI6Upgrade naar KadastraleKaart Pro
zn5y6roE6h 55U0zuLG0Upgrade naar KadastraleKaart Pro
20/11/2014

Percelen
Gebruik de zoekbalk of klik op een perceel om informatie over het perceel te bekijken.