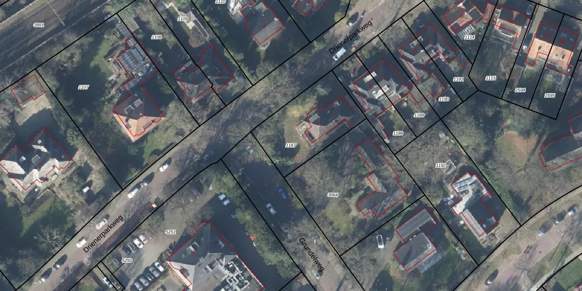
Perceel: HGL01-M-1187
KadastraleKaart.com kan meer dan je denktOntdek meer ›
Filter op bestemming 50+ datasets Eigendomsdata in één klik Percelen CRM
706 m2 - 110 m
Eigenaar opvragen
HGL01-M-1187 (Hengelo Overijssel)
- 7552 EG
kH5dSkfYbbiaEdiOlzU7gVhvM 3UYFMUpgrade naar KadastraleKaart Pro
Verkoopprijs opvragen
Bekijk op Street View
Download DWG/DXF/Excel
WPyzev7HVDK1FQioUpgrade naar KadastraleKaart Pro
6cS094w85NZUU7q2HFUpgrade naar KadastraleKaart Pro
BxgCH3QD s83HwRZUI5Upgrade naar KadastraleKaart Pro
i3exQCzA3YVGz onCkh8TNUpgrade naar KadastraleKaart Pro
OhpTQX124teh kc90FrUpgrade naar KadastraleKaart Pro
7Sq bJZdIUpgrade naar KadastraleKaart Pro
m5c8C N3t9EqsHUpgrade naar KadastraleKaart Pro
oUAK RJxCFptJ6Upgrade naar KadastraleKaart Pro
BD ohqcEZd yGDy9Upgrade naar KadastraleKaart Pro
FIy373BLd FUpgrade naar KadastraleKaart Pro
07/04/2003

Percelen
Gebruik de zoekbalk of klik op een perceel om informatie over het perceel te bekijken.