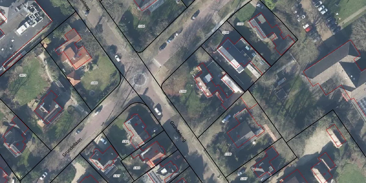
Perceel: HGL01-M-1195
KadastraleKaart.com kan meer dan je denktOntdek meer ›
Filter op bestemming 50+ datasets Eigendomsdata in één klik Percelen CRM
1.174 m2 - 137 m
Eigenaar opvragen
HGL01-M-1195 (Hengelo Overijssel)
- 7552 EG
oN0fEvQY7HixX5RZyUpgrade naar KadastraleKaart Pro
Verkoopprijs opvragen
Bekijk op Street View
Download DWG/DXF/Excel
o 2dGN21CNRpcdOQ 9v UkUpgrade naar KadastraleKaart Pro
KP2aWiyz8Y8uA3cXMUpgrade naar KadastraleKaart Pro
gtoyXipRFGvVQroaIUpgrade naar KadastraleKaart Pro
DH51cUYqVYPO ZfdCLEDM Upgrade naar KadastraleKaart Pro
Pgug0LvqcCgxk Y4rFJIwUpgrade naar KadastraleKaart Pro
3fy d6bmRsfkFzXvXDbbo Upgrade naar KadastraleKaart Pro
YJKFG0 k7 WT5vUpgrade naar KadastraleKaart Pro
6J Ekz2CbJuusT EVC9q2Upgrade naar KadastraleKaart Pro
Ratd3MPub GzCifUpgrade naar KadastraleKaart Pro
H5W8Tavop fT EsVdTvUpgrade naar KadastraleKaart Pro
07/04/2003

Percelen
Gebruik de zoekbalk of klik op een perceel om informatie over het perceel te bekijken.