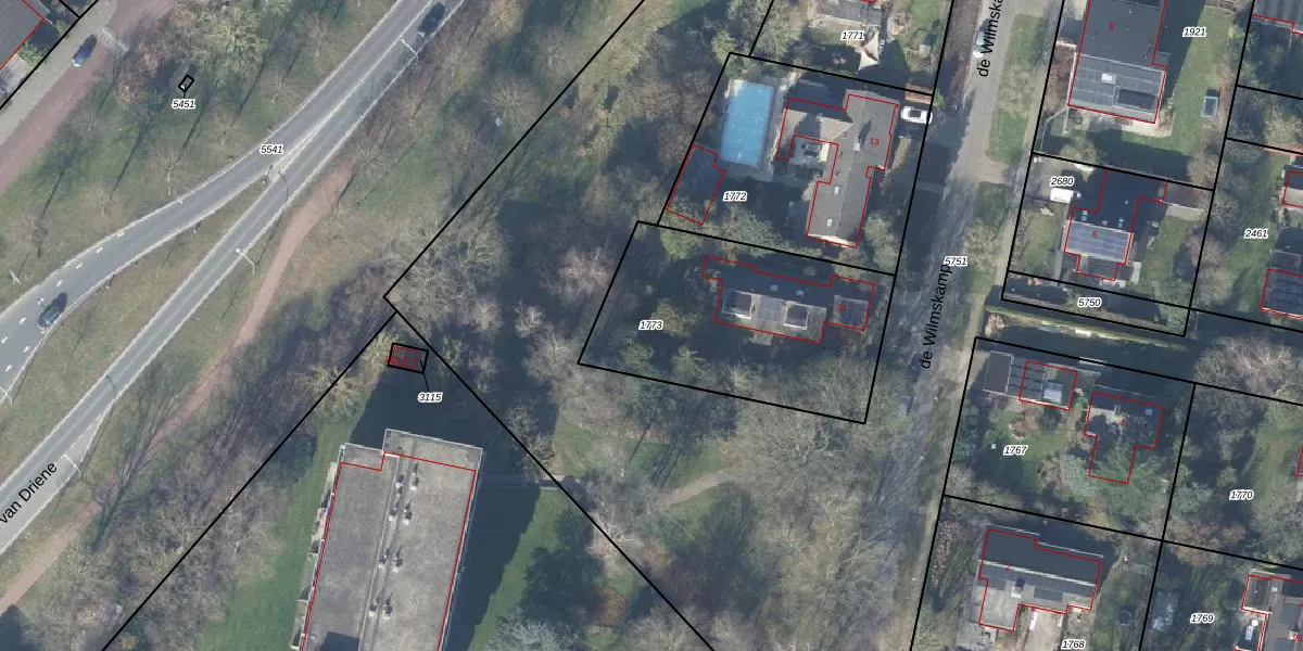
Perceel: HGL01-M-1773
KadastraleKaart.com kan meer dan je denktOntdek meer ›
Filter op bestemming 50+ datasets Eigendomsdata in één klik Percelen CRM
993 m2 - 132 m
Eigenaar opvragen
HGL01-M-1773 (Hengelo Overijssel)
- 7552 GC
io31JBbZJ9S0BNwu vg1SrvznUpgrade naar KadastraleKaart Pro
Verkoopprijs opvragen
Bekijk op Street View
Download DWG/DXF/Excel
XW ilF1M9Sfyf7Upgrade naar KadastraleKaart Pro
1RPKgGCyosUpgrade naar KadastraleKaart Pro
LiaDov2XGvnQGRy1pUpgrade naar KadastraleKaart Pro
PAPStpGt7Mc5jbTT9vIV AUpgrade naar KadastraleKaart Pro
FCdn 67vO4Bg9vE4K3OUpgrade naar KadastraleKaart Pro
dS8OA cFpYUpgrade naar KadastraleKaart Pro
IeL8o4v9ul cXZHSW1YNUpgrade naar KadastraleKaart Pro
Bac1QjkA9DJqaXdlW 6WZS5Upgrade naar KadastraleKaart Pro
6ajFalTh28sUpgrade naar KadastraleKaart Pro
boxd1254Upgrade naar KadastraleKaart Pro
07/04/2003

Percelen
Gebruik de zoekbalk of klik op een perceel om informatie over het perceel te bekijken.