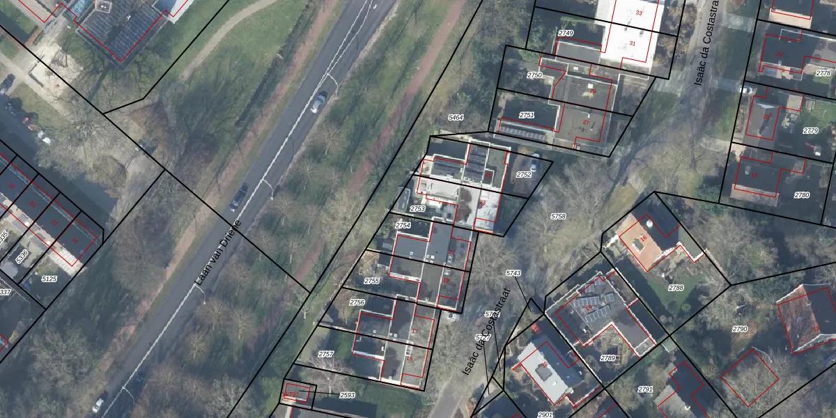
Perceel: HGL01-M-2753
KadastraleKaart.com kan meer dan je denktOntdek meer ›
Filter op bestemming 50+ datasets Eigendomsdata in één klik Percelen CRM
283 m2 - 78 m
Eigenaar opvragen
HGL01-M-2753 (Hengelo Overijssel)
- 7552 VT
G NkQW5alpEr1qR Upgrade naar KadastraleKaart Pro
Bekijk op Street View
Download DWG/DXF/Excel
7 PzDGkh4wSjUpgrade naar KadastraleKaart Pro
aaPegIL5Upgrade naar KadastraleKaart Pro
9typHO 0gHF 4t CUpgrade naar KadastraleKaart Pro
f3hYg NgFlUpgrade naar KadastraleKaart Pro
tGavf RwwUpgrade naar KadastraleKaart Pro
o9KbShbNlN Gnrbm8QkUUpgrade naar KadastraleKaart Pro
rAonJMe DCqI SCuMbAEUpgrade naar KadastraleKaart Pro
hHcV r3po4vaxbZ37Upgrade naar KadastraleKaart Pro
vwJGtLv4Z6F4Upgrade naar KadastraleKaart Pro
uoNYS2fHgK KUpgrade naar KadastraleKaart Pro
14/02/2003

Percelen
Gebruik de zoekbalk of klik op een perceel om informatie over het perceel te bekijken.