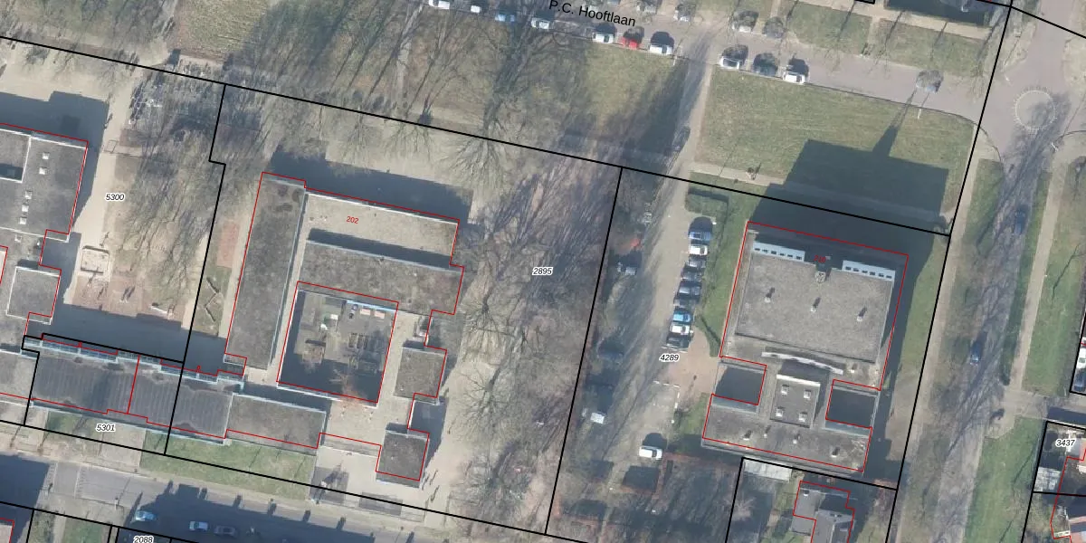
Perceel: HGL01-M-2895
KadastraleKaart.com kan meer dan je denktOntdek meer ›
Filter op bestemming 50+ datasets Eigendomsdata in één klik Percelen CRM
4.996 m2 - 288 m
Eigenaar opvragen
HGL01-M-2895 (Hengelo Overijssel)
- 7552 HL -7552 HE
ZeHqioBW HkIZGdd7THevhPUpgrade naar KadastraleKaart Pro
Bekijk op Street View
Download DWG/DXF/Excel
aN9TDzdx NMbUiYH52kUTUUpgrade naar KadastraleKaart Pro
KPM1raLBXdxaUpgrade naar KadastraleKaart Pro
N mq6ZUtdk2tz3 vZxiUpgrade naar KadastraleKaart Pro
uLR shlvooDfMVEU9VWlUpgrade naar KadastraleKaart Pro
nKE0QQoM1tHfAeUpgrade naar KadastraleKaart Pro
Pq5xqz5lhVlee2Upgrade naar KadastraleKaart Pro
7SYvCRCr tW2I5pUpgrade naar KadastraleKaart Pro
au55uOnFMEfZuZE25UraEqUpgrade naar KadastraleKaart Pro
7ydLzNs5RkjF DIYwUpgrade naar KadastraleKaart Pro
YGMhT E4Upgrade naar KadastraleKaart Pro
30/09/2013

Percelen
Gebruik de zoekbalk of klik op een perceel om informatie over het perceel te bekijken.