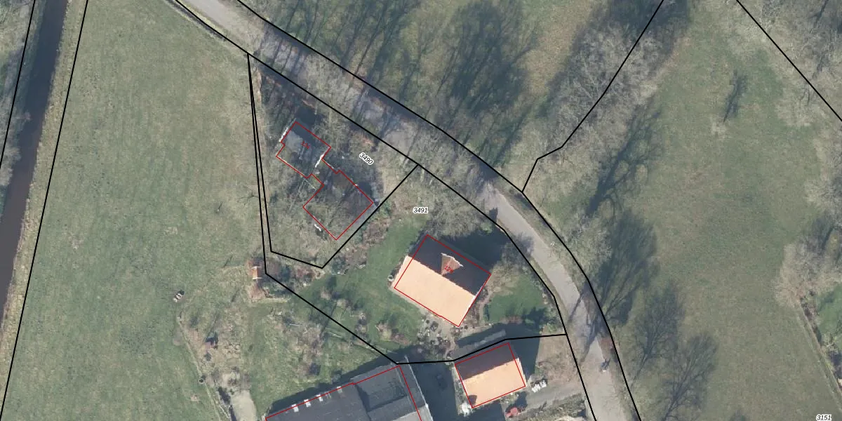
Perceel: HGL01-M-3491
KadastraleKaart.com kan meer dan je denktOntdek meer ›
Filter op bestemming 50+ datasets Eigendomsdata in één klik Percelen CRM
1.845 m2 - 280 m
Eigenaar opvragen
HGL01-M-3491 (Hengelo Overijssel)
- 7552 PD
EnnVlGVl 0xH1jxMrLZpTBpQBY77Upgrade naar KadastraleKaart Pro
Bekijk op Street View
Download DWG/DXF/Excel
1l0tK6qj AGU Jln68GnDUpgrade naar KadastraleKaart Pro
Qbm5aLJT I0kPlnx1gALkUpgrade naar KadastraleKaart Pro
bLy L JkmLg TuSyOh8i9Upgrade naar KadastraleKaart Pro
IDYPn 7nqALxUpgrade naar KadastraleKaart Pro
ncXPhfOG nUn YgeWJcUpgrade naar KadastraleKaart Pro
topCO 0oDaQ tMjlqKUpgrade naar KadastraleKaart Pro
enczVZbmKtin CeV 2h8aUpgrade naar KadastraleKaart Pro
Rmfy80rVmxUpgrade naar KadastraleKaart Pro
ZO 57g4Ga Upgrade naar KadastraleKaart Pro
pmqB5BhjUpgrade naar KadastraleKaart Pro
28/03/2003

Percelen
Gebruik de zoekbalk of klik op een perceel om informatie over het perceel te bekijken.