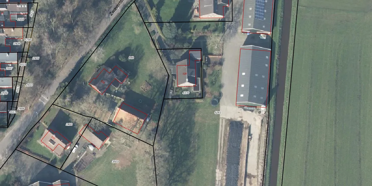
Perceel: HGL01-M-4376
KadastraleKaart.com kan meer dan je denktOntdek meer ›
Filter op bestemming 50+ datasets Eigendomsdata in één klik Percelen CRM
535 m2 - 100 m
Eigenaar opvragen
HGL01-M-4376 (Hengelo Overijssel)
- 7552 ML
XlGwoozwCz8CPtcv qjhei aH8P AgUpgrade naar KadastraleKaart Pro
Bekijk op Street View
Download DWG/DXF/Excel
lpLKWT0CZJ2cdu6i0LIJ 5lUpgrade naar KadastraleKaart Pro
hlCDOfE NCUsH 3Upgrade naar KadastraleKaart Pro
NX3SylYdkQUpgrade naar KadastraleKaart Pro
q5gYeHg65FEh Nyt Z9mEUpgrade naar KadastraleKaart Pro
wgV1RaGpF1M67Tn iieUfUpgrade naar KadastraleKaart Pro
Uk92kmNRjsKOMC7ukoUpgrade naar KadastraleKaart Pro
o 5ihcifG 0V3wUDp43Upgrade naar KadastraleKaart Pro
szrH4Qz1eoLEH1LZUpgrade naar KadastraleKaart Pro
lbDqcDRp0T27IB4Upgrade naar KadastraleKaart Pro
l RO3 jA1Upgrade naar KadastraleKaart Pro
26/02/2004

Percelen
Gebruik de zoekbalk of klik op een perceel om informatie over het perceel te bekijken.