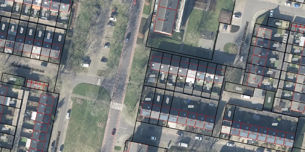
Perceel: HGL01-M-4608
KadastraleKaart.com kan meer dan je denktOntdek meer ›
Filter op bestemming 50+ datasets Eigendomsdata in één klik Percelen CRM
196 m2 - 64 m
Eigenaar opvragen
HGL01-M-4608 (Hengelo Overijssel)
- 7552 KW
7vTLddVFIy0o5zw7HHunsfMKZUpgrade naar KadastraleKaart Pro
Bekijk op Street View
Download DWG/DXF/Excel
8zsLO zAb93RAhYLPWUpgrade naar KadastraleKaart Pro
9zHXB2Dmhf Upgrade naar KadastraleKaart Pro
m1JLwiPywtZ2SYPUpgrade naar KadastraleKaart Pro
lQuFnOnYV2KpUpgrade naar KadastraleKaart Pro
rDBHhhGCibMuzUpgrade naar KadastraleKaart Pro
7 S9IeB6DkVB uFxyoaiUpgrade naar KadastraleKaart Pro
vRK6f slm1Upgrade naar KadastraleKaart Pro
DYwbDMxBjuuMlU1py1NpZUpgrade naar KadastraleKaart Pro
IrPPV 2 6IXISu33 VelFwHUpgrade naar KadastraleKaart Pro
2ePChzWfzf4mUpgrade naar KadastraleKaart Pro
16/05/2012

Percelen
Gebruik de zoekbalk of klik op een perceel om informatie over het perceel te bekijken.