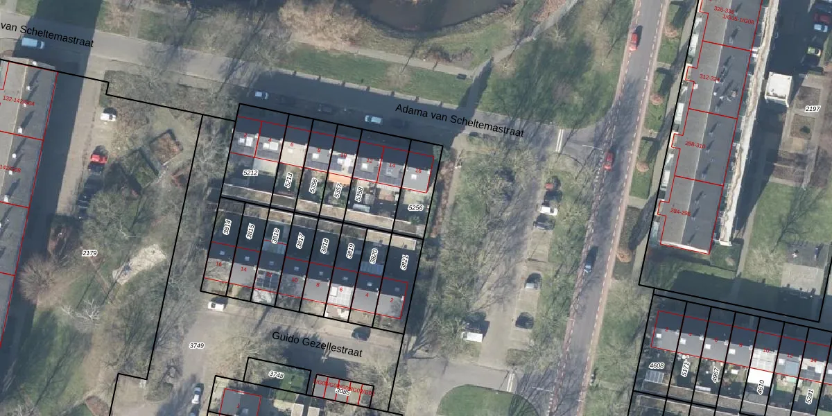
Perceel: HGL01-M-5256
KadastraleKaart.com kan meer dan je denktOntdek meer ›
Filter op bestemming 50+ datasets Eigendomsdata in één klik Percelen CRM
179 m2 - 61 m
Eigenaar opvragen
HGL01-M-5256 (Hengelo Overijssel)
- 7552 WH
X8mmKrsyZkaoloCVsP 1GJBIa Upgrade naar KadastraleKaart Pro
Verkoopprijs opvragen
Bekijk op Street View
Download DWG/DXF/Excel
V7gMeulDNX7bJ1yN 6 INKUpgrade naar KadastraleKaart Pro
eP6iWD8tlggFigCjhr0Upgrade naar KadastraleKaart Pro
fV2W8 5DJ4QIVMUpgrade naar KadastraleKaart Pro
WTfY3zH68UHwUWjIUpgrade naar KadastraleKaart Pro
6ZY5TvN F4F3HUpgrade naar KadastraleKaart Pro
qsFgMZ vHJ0fUpgrade naar KadastraleKaart Pro
EiXEqBqusg 6 Upgrade naar KadastraleKaart Pro
U 0AfgCwH jxPrTBUpgrade naar KadastraleKaart Pro
HsyDzUADieDU6Upgrade naar KadastraleKaart Pro
q Fv5jTrfO9PolUpgrade naar KadastraleKaart Pro
30/11/2012

Percelen
Gebruik de zoekbalk of klik op een perceel om informatie over het perceel te bekijken.