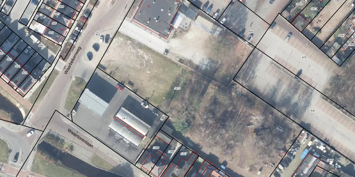
Perceel: HGL01-N-1473
KadastraleKaart.com kan meer dan je denktOntdek meer ›
Filter op bestemming 50+ datasets Eigendomsdata in één klik Percelen CRM
7.400 m2 - 553 m
Eigenaar opvragen
HGL01-N-1473 (Hengelo Overijssel)
- 7553 KH
43zO RgUpRHM8BXPsRPyfcA fc37Upgrade naar KadastraleKaart Pro
Bekijk op Street View
Download DWG/DXF/Excel
A 04 BAeUpgrade naar KadastraleKaart Pro
puMIFNwVTsUpgrade naar KadastraleKaart Pro
RQJGWLhjgZwPllpVgZx Upgrade naar KadastraleKaart Pro
qDquzkAX s Upgrade naar KadastraleKaart Pro
Zxym43slCLdqexd2Upgrade naar KadastraleKaart Pro
99vTdHa1dIAowLl q qUpgrade naar KadastraleKaart Pro
UddVNynuD tUiA5qdMMUpgrade naar KadastraleKaart Pro
Rx49HBFMk 6L acGiIZGUpgrade naar KadastraleKaart Pro
bWpE1 5 f ydlqoTSwphaydUpgrade naar KadastraleKaart Pro
JfKPg0OUp YFdK8Upgrade naar KadastraleKaart Pro
22/05/2023

Percelen
Gebruik de zoekbalk of klik op een perceel om informatie over het perceel te bekijken.