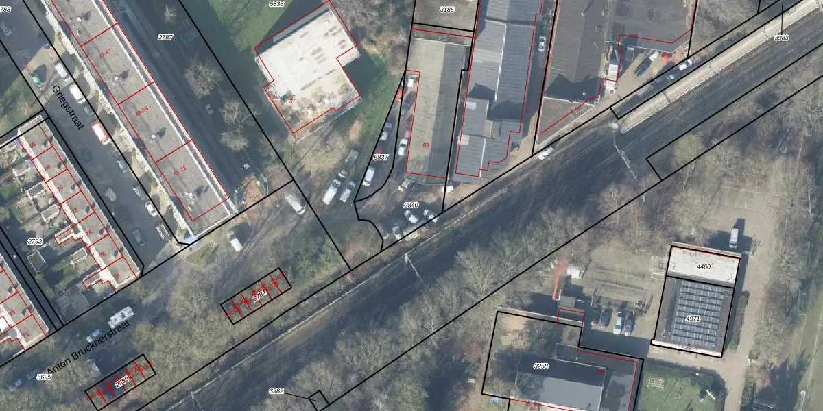
Perceel: HGL01-O-2840
KadastraleKaart.com kan meer dan je denktOntdek meer ›
Filter op bestemming 50+ datasets Eigendomsdata in één klik Percelen CRM
755 m2 - 144 m
Eigenaar opvragen
HGL01-O-2840 (Hengelo Overijssel)
- 7557 RP
NlECRwr dziGV HqMVw3G IMUpgrade naar KadastraleKaart Pro
Bekijk op Street View
Download DWG/DXF/Excel
ZZj9 c 0Upgrade naar KadastraleKaart Pro
P2FQqn KjMxQn Fk7UdUpgrade naar KadastraleKaart Pro
Wv DGjQcx Upgrade naar KadastraleKaart Pro
enOOI savx eUpgrade naar KadastraleKaart Pro
NMBWEhslUpgrade naar KadastraleKaart Pro
T0xyp2Vk2kDGi0ZorcnNYUpgrade naar KadastraleKaart Pro
b1UWqbOODHEArZUpgrade naar KadastraleKaart Pro
USwsMEDqFS EElUpgrade naar KadastraleKaart Pro
WkbsQvnXGJUpgrade naar KadastraleKaart Pro
hls1F7 4ZR4jQ0R2Upgrade naar KadastraleKaart Pro
11/07/2016

Percelen
Gebruik de zoekbalk of klik op een perceel om informatie over het perceel te bekijken.