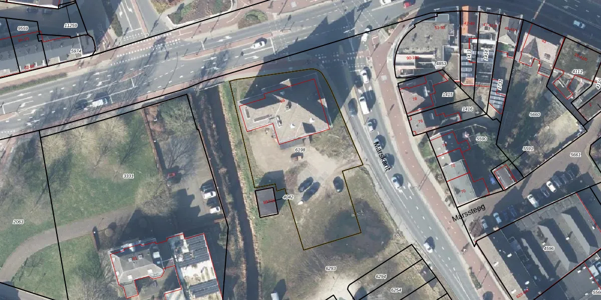
Perceel: HGL01-O-6198
KadastraleKaart.com kan meer dan je denktOntdek meer ›
Filter op bestemming 50+ datasets Eigendomsdata in één klik Percelen CRM
1.667 m2 - 184 m
Eigenaar opvragen
HGL01-O-6198 (Hengelo Overijssel)
- 7551 AC
QMLdyWy1MIH4XCWKUVXUpgrade naar KadastraleKaart Pro
Bekijk op Street View
Download DWG/DXF/Excel
h4tNuOnwUpgrade naar KadastraleKaart Pro
1flQJ gvq87VRUwQ1ZW1Upgrade naar KadastraleKaart Pro
rKmqV p o4ZJrpfkFand7Upgrade naar KadastraleKaart Pro
rjofAi9 ZSQheDUpgrade naar KadastraleKaart Pro
pVcNa wREuLtEOTuerPvEUpgrade naar KadastraleKaart Pro
tBkY599pCbNUpgrade naar KadastraleKaart Pro
ai9IPqjzfwUpgrade naar KadastraleKaart Pro
GcZHjQSa aha4 HNJX1jUpgrade naar KadastraleKaart Pro
NdDm0HzBhA9EJAZ9jWm3 i7Upgrade naar KadastraleKaart Pro
JS k4 K6Vfb0kbUpgrade naar KadastraleKaart Pro
23/11/2023

Percelen
Gebruik de zoekbalk of klik op een perceel om informatie over het perceel te bekijken.