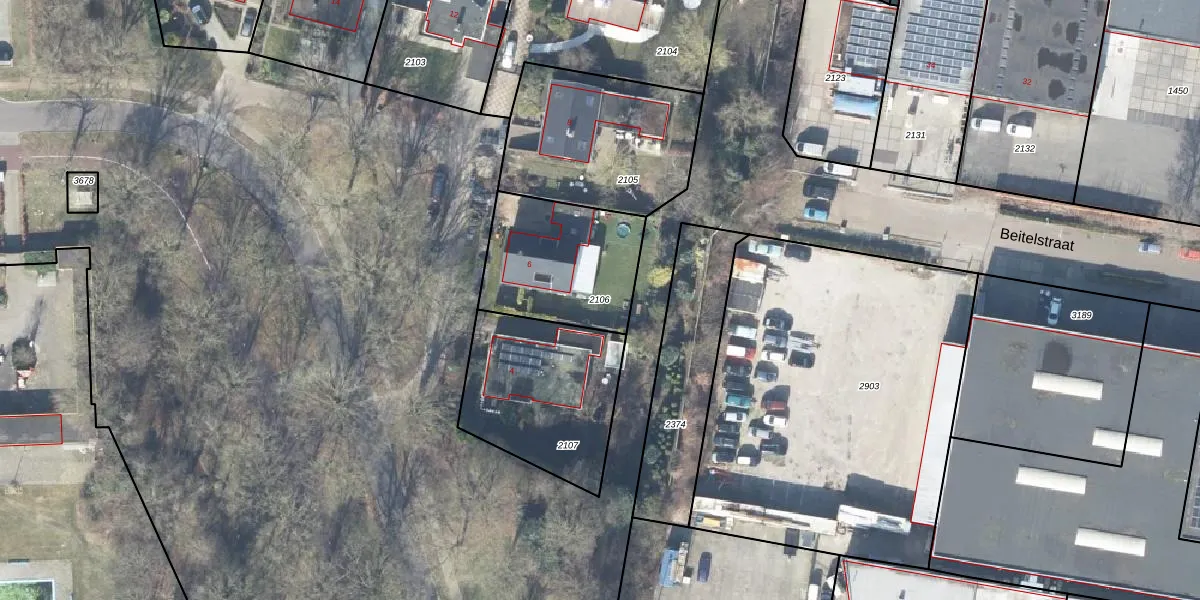
Perceel: HGL01-P-2106
KadastraleKaart.com kan meer dan je denktOntdek meer ›
Filter op bestemming 50+ datasets Eigendomsdata in één klik Percelen CRM
500 m2 - 90 m
Eigenaar opvragen
HGL01-P-2106 (Hengelo Overijssel)
- 7556 NA
prFwgo06iHz0KqmkemBemc2V8xXdyUpgrade naar KadastraleKaart Pro
Verkoopprijs opvragen
Bekijk op Street View
Download DWG/DXF/Excel
mx8Scl 5xesDUbUpgrade naar KadastraleKaart Pro
mGV13 rubS Upgrade naar KadastraleKaart Pro
4RAIUuH okliYUpgrade naar KadastraleKaart Pro
aADPVIWBmUpgrade naar KadastraleKaart Pro
v R3e6 2oFL RCRUpgrade naar KadastraleKaart Pro
GqkRkcclB7KpVYw 39vzeZJUpgrade naar KadastraleKaart Pro
dLvEqmAP75Lp4W5hSn7Upgrade naar KadastraleKaart Pro
Tzdb WVjXvUpgrade naar KadastraleKaart Pro
qJU WblIavuUpgrade naar KadastraleKaart Pro
7OmxvBLqhUpgrade naar KadastraleKaart Pro
19/05/2010

Percelen
Gebruik de zoekbalk of klik op een perceel om informatie over het perceel te bekijken.