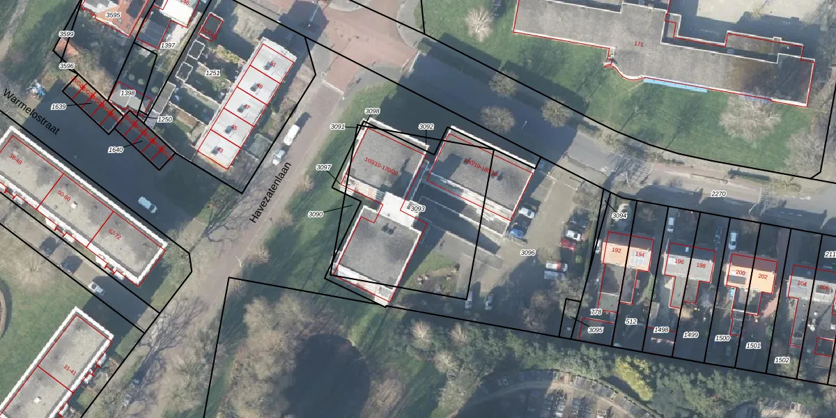
Perceel: HGL01-P-3093
KadastraleKaart.com kan meer dan je denktOntdek meer ›
Filter op bestemming 50+ datasets Eigendomsdata in één klik Percelen CRM
1.144 m2 - 145 m
Eigenaar opvragen
HGL01-P-3093 (Hengelo Overijssel)
- 7557 KN
03N6mJHF9 IkZ1RnZi b3keUpgrade naar KadastraleKaart Pro
Verkoopprijs opvragen
Bekijk op Street View
Download DWG/DXF/Excel
y82EPU5h2qUpgrade naar KadastraleKaart Pro
sO7iGmHPgUUpgrade naar KadastraleKaart Pro
h6AGP 7krKLqR5xihUpgrade naar KadastraleKaart Pro
J9id9Sx vvlEUpgrade naar KadastraleKaart Pro
U7VmihajDiMuLp5fUpgrade naar KadastraleKaart Pro
cO2Bj5pyXyXW3 jBUpgrade naar KadastraleKaart Pro
ee7XZ75IluUpgrade naar KadastraleKaart Pro
87s8QMf7DEBIrUpgrade naar KadastraleKaart Pro
Kmt2DuihvXpS8Upgrade naar KadastraleKaart Pro
E6oHRLBxbQqusxyzNUpgrade naar KadastraleKaart Pro
13/09/2005

Percelen
Gebruik de zoekbalk of klik op een perceel om informatie over het perceel te bekijken.