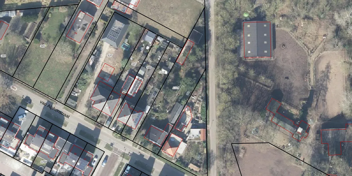
Perceel: HGL01-Q-1114
KadastraleKaart.com kan meer dan je denktOntdek meer ›
Filter op bestemming 50+ datasets Eigendomsdata in één klik Percelen CRM
1.167 m2 - 193 m
Eigenaar opvragen
HGL01-Q-1114 (Hengelo Overijssel)
- 7556 JT
ithjWtg LQA zQX4 gxjjRUpgrade naar KadastraleKaart Pro
Bekijk op Street View
Download DWG/DXF/Excel
NeO3hZY9LbBHZbUpgrade naar KadastraleKaart Pro
1U679OrLtSDFPY2TiXUpgrade naar KadastraleKaart Pro
FfnF26xiaDUpgrade naar KadastraleKaart Pro
Zo 5O9fK9e726FReweGBykUpgrade naar KadastraleKaart Pro
6bfc3Jlnxn7q9caD6V Upgrade naar KadastraleKaart Pro
Mw2UGu6NhkFgokhWUaINN Upgrade naar KadastraleKaart Pro
HEwT9JInlf9Pu31rTQUpgrade naar KadastraleKaart Pro
udNAV82qBOi EXBeDBAovWUpgrade naar KadastraleKaart Pro
ZAJPJ4c7kB IEpXoKUpgrade naar KadastraleKaart Pro
U f1PCKTnGP1IUpgrade naar KadastraleKaart Pro
09/04/2003

Percelen
Gebruik de zoekbalk of klik op een perceel om informatie over het perceel te bekijken.