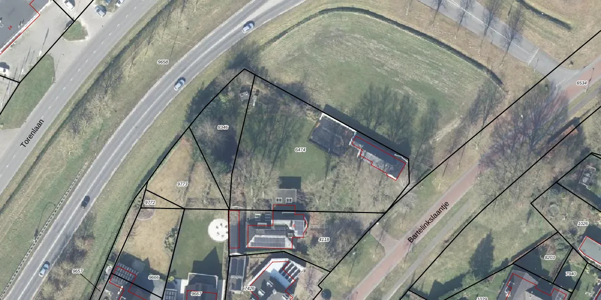
Perceel: HGL01-T-6474
KadastraleKaart.com kan meer dan je denktOntdek meer ›
Filter op bestemming 50+ datasets Eigendomsdata in één klik Percelen CRM
Geen adressen bij dit perceel
1.808 m2 - 177 m
Eigenaar opvragen
HGL01-T-6474 (Hengelo Overijssel)
- Geen postcode aanwezig
os6lXQ vjGapyqk LP AA yIUpgrade naar KadastraleKaart Pro
Bekijk op Street View
Download DWG/DXF/Excel
ACqbO9fA56mJlTof7IhFEtdUpgrade naar KadastraleKaart Pro
JKfVwHWSlDqNkV6djz3Upgrade naar KadastraleKaart Pro
LU v7OoveflAsUpgrade naar KadastraleKaart Pro
I9YJV1f7S W1hrUpgrade naar KadastraleKaart Pro
ye7zAcbpvHK UUpgrade naar KadastraleKaart Pro
rraGnfByymbUpgrade naar KadastraleKaart Pro
X9x0lL5KJ yyJDNPVeZ1Upgrade naar KadastraleKaart Pro
cPHToVtVUpgrade naar KadastraleKaart Pro
P4Lyw3O g erMDCK9I1k 1xUpgrade naar KadastraleKaart Pro
H1GM vjxUpgrade naar KadastraleKaart Pro
14/04/2010

Percelen
Gebruik de zoekbalk of klik op een perceel om informatie over het perceel te bekijken.