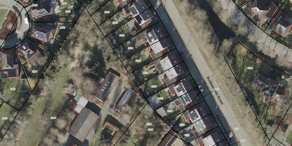
Perceel: HGL01-U-2119
KadastraleKaart.com kan meer dan je denktOntdek meer ›
Filter op bestemming 50+ datasets Eigendomsdata in één klik Percelen CRM
365 m2 - 92 m
Eigenaar opvragen
HGL01-U-2119 (Hengelo Overijssel)
- 7559 HB
at7eARWpQ1bAx1O0Upgrade naar KadastraleKaart Pro
Bekijk op Street View
Download DWG/DXF/Excel
EVfCVGGRn hNHdUpgrade naar KadastraleKaart Pro
UzwfEHTC4blkEx3ZIfsUpgrade naar KadastraleKaart Pro
Y7 DNGA2 Upgrade naar KadastraleKaart Pro
iMKi3 6lENjjLEUpgrade naar KadastraleKaart Pro
zPBWJ4ttWVhylBuJUpgrade naar KadastraleKaart Pro
PczEM6 eGfp0H5Y qUpgrade naar KadastraleKaart Pro
o4KlzgDw 3aZtKvFYjUpgrade naar KadastraleKaart Pro
zChqo yrLmA0B1VUpgrade naar KadastraleKaart Pro
sIwb 6Yocp3Upgrade naar KadastraleKaart Pro
iyvETd1LcTd 2MO XLoWUpgrade naar KadastraleKaart Pro
27/09/2012

Percelen
Gebruik de zoekbalk of klik op een perceel om informatie over het perceel te bekijken.