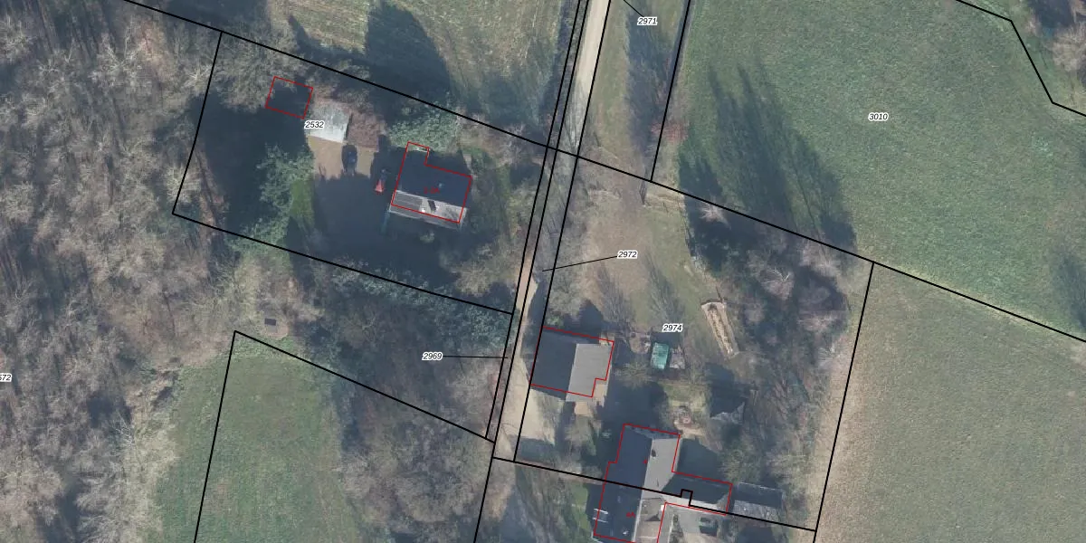
Perceel: HGL02-H-2972
KadastraleKaart.com kan meer dan je denktOntdek meer ›
Filter op bestemming 50+ datasets Eigendomsdata in één klik Percelen CRM
Geen adressen bij dit perceel
225 m2 - 123 m
Eigenaar opvragen
HGL02-H-2972 (Hengelo Gelderland)
- Geen postcode aanwezig
bB8se FHle15ivM3 RowUpgrade naar KadastraleKaart Pro
Bekijk op Street View
Download DWG/DXF/Excel
8ZHWgWSA0mUpgrade naar KadastraleKaart Pro
EYoz sPUpgrade naar KadastraleKaart Pro
VHJhuWVQ7DUpgrade naar KadastraleKaart Pro
OvMzisA937ZOF9UXUpgrade naar KadastraleKaart Pro
w mVqzxThSs zYb DUpgrade naar KadastraleKaart Pro
2x0OCOlpibvMVkA4TBMdGUpgrade naar KadastraleKaart Pro
LVURu yrlmACSUpgrade naar KadastraleKaart Pro
sYgChCpMws iip1Upgrade naar KadastraleKaart Pro
EBToQKk ktA1AUpgrade naar KadastraleKaart Pro
8t2 RFYsMUpgrade naar KadastraleKaart Pro
02/09/2003

Percelen
Gebruik de zoekbalk of klik op een perceel om informatie over het perceel te bekijken.