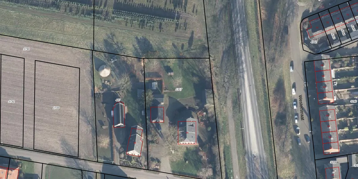
Perceel: HGL02-L-1317
KadastraleKaart.com kan meer dan je denktOntdek meer ›
Filter op bestemming 50+ datasets Eigendomsdata in één klik Percelen CRM
2.535 m2 - 210 m
Eigenaar opvragen
HGL02-L-1317 (Hengelo Gelderland)
- 7255 BG
ctb ccPAc R4feE7aDXgtcw yrN1tUpgrade naar KadastraleKaart Pro
Bekijk op Street View
Download DWG/DXF/Excel
HmteTg0epr5Va33Upgrade naar KadastraleKaart Pro
oQVRb8BDeJ z1d J xCCUpgrade naar KadastraleKaart Pro
vwWQRCEPDzI 6iPG9 Upgrade naar KadastraleKaart Pro
LUFRBuapZ9U zV5uihKUpgrade naar KadastraleKaart Pro
b DE5PAAZE RLtfcpdNUpgrade naar KadastraleKaart Pro
0fqjxGik6 Mp8GM8 HVaGzAUpgrade naar KadastraleKaart Pro
w5Bj6S Upgrade naar KadastraleKaart Pro
GvvyTf k rDdXcUpgrade naar KadastraleKaart Pro
ax B3 Op5EGc9JaSUpgrade naar KadastraleKaart Pro
HyKkDlMNUpgrade naar KadastraleKaart Pro
15/09/2020

Percelen
Gebruik de zoekbalk of klik op een perceel om informatie over het perceel te bekijken.