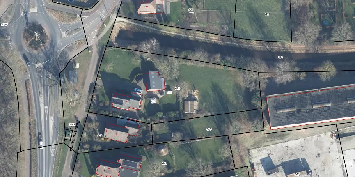
Perceel: HGL02-L-691
KadastraleKaart.com kan meer dan je denktOntdek meer ›
Filter op bestemming 50+ datasets Eigendomsdata in één klik Percelen CRM
3.060 m2 - 245 m
Eigenaar opvragen
HGL02-L-691 (Hengelo Gelderland)
- 7255 AG
2aEjNsKPU6HBj nk9cUpgrade naar KadastraleKaart Pro
Bekijk op Street View
Download DWG/DXF/Excel
2jmzBrURRnp3o0NBU6KJUpgrade naar KadastraleKaart Pro
4gqN4W 0KDrTTx0juUpgrade naar KadastraleKaart Pro
Mp7CTDZKUpgrade naar KadastraleKaart Pro
qsGBuFUnIUpgrade naar KadastraleKaart Pro
37qZ9fQYiSU6VJUpgrade naar KadastraleKaart Pro
qe3WHY 3 Upgrade naar KadastraleKaart Pro
cwNkHRyh552Upgrade naar KadastraleKaart Pro
NMkt L90wEFpUpgrade naar KadastraleKaart Pro
KnibQlbmQJG1OzIPUpgrade naar KadastraleKaart Pro
aAOXeHj6oUpgrade naar KadastraleKaart Pro
05/12/2002

Percelen
Gebruik de zoekbalk of klik op een perceel om informatie over het perceel te bekijken.