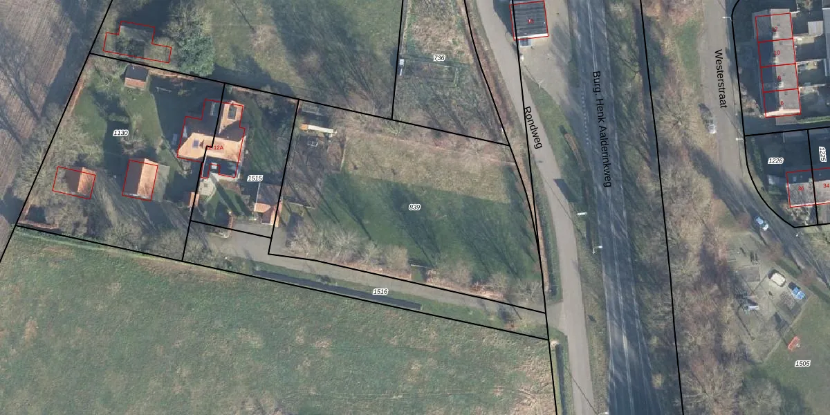
Perceel: HGL02-L-839
KadastraleKaart.com kan meer dan je denktOntdek meer ›
Filter op bestemming 50+ datasets Eigendomsdata in één klik Percelen CRM
Geen adressen bij dit perceel
2.280 m2 - 200 m
Eigenaar opvragen
HGL02-L-839 (Hengelo Gelderland)
- Geen postcode aanwezig
X vo 2DSKe 2J hm6Q YV S7Upgrade naar KadastraleKaart Pro
Bekijk op Street View
Download DWG/DXF/Excel
TgUthXOZLQVOmUpgrade naar KadastraleKaart Pro
zS92xq KQUpgrade naar KadastraleKaart Pro
sJMAT6tQ4y29qDyrYCLd ymUpgrade naar KadastraleKaart Pro
d3UTr SuaEUpgrade naar KadastraleKaart Pro
lYwnuOSrlfxyUpgrade naar KadastraleKaart Pro
fEIi Mz hXrIlUpgrade naar KadastraleKaart Pro
LffF9GF7oDfLIbTo3q Upgrade naar KadastraleKaart Pro
mkNV3IEaJZgUpgrade naar KadastraleKaart Pro
IrJLXlM9fVTF U KmZUpgrade naar KadastraleKaart Pro
sU88klMV nk9h56 HG17EzUpgrade naar KadastraleKaart Pro
22/03/2017

Percelen
Gebruik de zoekbalk of klik op een perceel om informatie over het perceel te bekijken.