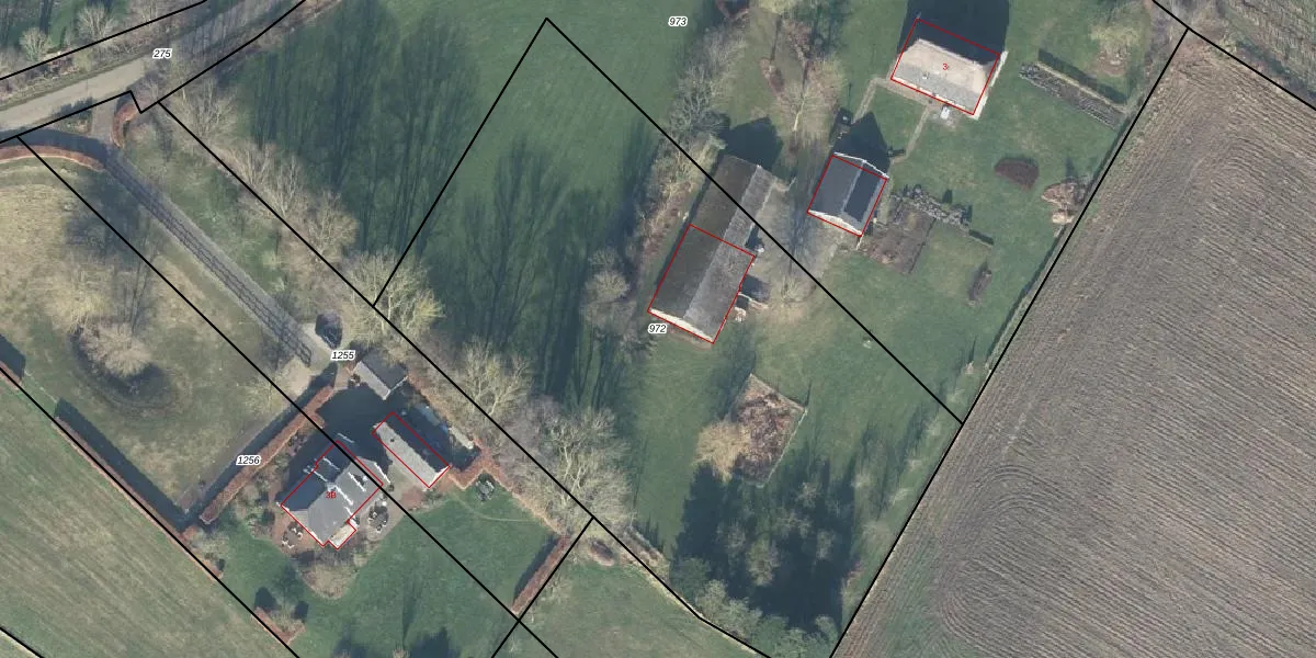
Perceel: HGL02-L-972
KadastraleKaart.com kan meer dan je denktOntdek meer ›
Filter op bestemming 50+ datasets Eigendomsdata in één klik Percelen CRM
Geen adressen bij dit perceel
4.370 m2 - 274 m
Eigenaar opvragen
HGL02-L-972 (Hengelo Gelderland)
- Geen postcode aanwezig
f0kQi91gb9vKirGen9o1AP2wC2Upgrade naar KadastraleKaart Pro
Bekijk op Street View
Download DWG/DXF/Excel
OIs sLxruanLdALVEBHfn Upgrade naar KadastraleKaart Pro
9ZMJo7pqyUpgrade naar KadastraleKaart Pro
mqBrisAa6y9 w0sHxUpgrade naar KadastraleKaart Pro
xc6sKqzOMqH7XSguk9MoVUpgrade naar KadastraleKaart Pro
VNJd5QZf tmctNToogNDUpgrade naar KadastraleKaart Pro
6K4xG3 dEJBi ayqW Upgrade naar KadastraleKaart Pro
GJTi0ybH7jp j3dFBGqxUpgrade naar KadastraleKaart Pro
fQu5UarqQ03VUpgrade naar KadastraleKaart Pro
ujHuydPQObqoqsGY Upgrade naar KadastraleKaart Pro
NK k3vKP46bgTkG7muUpgrade naar KadastraleKaart Pro
22/03/2007

Percelen
Gebruik de zoekbalk of klik op een perceel om informatie over het perceel te bekijken.