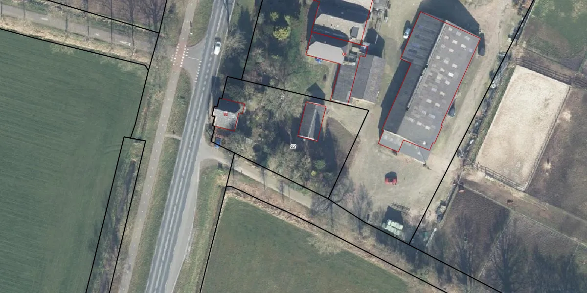
Perceel: HGL02-N-22
KadastraleKaart.com kan meer dan je denktOntdek meer ›
Filter op bestemming 50+ datasets Eigendomsdata in één klik Percelen CRM
1.315 m2 - 154 m
Eigenaar opvragen
HGL02-N-22 (Hengelo Gelderland)
- 7255 LE
9uL692SmYV 6xBK M2jdSVL9Upgrade naar KadastraleKaart Pro
Verkoopprijs opvragen
Bekijk op Street View
Download DWG/DXF/Excel
YlDzSTUEJxqDvEM A Upgrade naar KadastraleKaart Pro
2c w zhYDTpMAqayoEPXUpgrade naar KadastraleKaart Pro
jrKgRSQ WV KkFVUpgrade naar KadastraleKaart Pro
z3 2QKbSJWwAxyUpgrade naar KadastraleKaart Pro
K0D4J5ELHPPwwdtTDxTUpgrade naar KadastraleKaart Pro
34iwf nXBZsqBbUpgrade naar KadastraleKaart Pro
g8EBx7rBJLhesliRg6yoUpgrade naar KadastraleKaart Pro
eRfRsDfA mm8oAm yEaD5qVUpgrade naar KadastraleKaart Pro
RFxW9 TmwFsUpgrade naar KadastraleKaart Pro
nlXJ7UvDVsRy2vl8V JKDMnUpgrade naar KadastraleKaart Pro
13/02/2008

Percelen
Gebruik de zoekbalk of klik op een perceel om informatie over het perceel te bekijken.