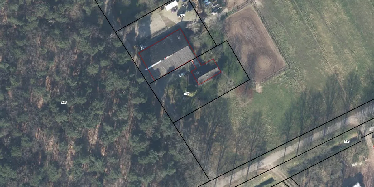
Perceel: HGL02-O-194
KadastraleKaart.com kan meer dan je denktOntdek meer ›
Filter op bestemming 50+ datasets Eigendomsdata in één klik Percelen CRM
1.160 m2 - 144 m
Eigenaar opvragen
HGL02-O-194 (Hengelo Gelderland)
- 7255 MN
djLz keHdgLSH0gjMmcZw27NjzmUpgrade naar KadastraleKaart Pro
Bekijk op Street View
Download DWG/DXF/Excel
yc0nLBAejsfSsGV TUpgrade naar KadastraleKaart Pro
VRkiKQQXMvtZ0TOsvFMZetUpgrade naar KadastraleKaart Pro
1e3x3Q70Upgrade naar KadastraleKaart Pro
kd ovvCM9g Upgrade naar KadastraleKaart Pro
xwo 8TqlcPLSeQjuM sMlTkUpgrade naar KadastraleKaart Pro
Orfr7f iUpgrade naar KadastraleKaart Pro
FC2p X2rx aTTdo ugUpgrade naar KadastraleKaart Pro
K1Uvt4H4 7w e7pJKh Upgrade naar KadastraleKaart Pro
Dqo Y0VKJNZ2J67fAFcGdUpgrade naar KadastraleKaart Pro
wBRH7 KitR UfiHf7bj GpUpgrade naar KadastraleKaart Pro
11/08/2010

Percelen
Gebruik de zoekbalk of klik op een perceel om informatie over het perceel te bekijken.