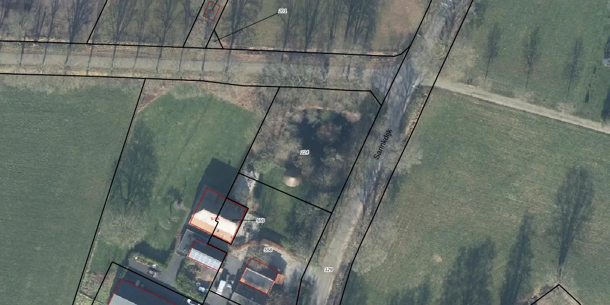
Perceel: HGL02-O-224
KadastraleKaart.com kan meer dan je denktOntdek meer ›
Filter op bestemming 50+ datasets Eigendomsdata in één klik Percelen CRM
Geen adressen bij dit perceel
1.225 m2 - 139 m
Eigenaar opvragen
HGL02-O-224 (Hengelo Gelderland)
- Geen postcode aanwezig
5NMrte V76JVP h 00U6nBczV0Mp8cUpgrade naar KadastraleKaart Pro
Bekijk op Street View
Download DWG/DXF/Excel
5XZpI 2NUpgrade naar KadastraleKaart Pro
2CeQsxOTjDzPbAec6DUpgrade naar KadastraleKaart Pro
aRzB9tuSg5Upgrade naar KadastraleKaart Pro
zMrcOar z VFNplshCe iNUpgrade naar KadastraleKaart Pro
NjQvooLqrbHx59I4IKUpgrade naar KadastraleKaart Pro
XXQ6adEj4tAhk IfBb I8 Upgrade naar KadastraleKaart Pro
p L AcOnDOAw6tqlLUpgrade naar KadastraleKaart Pro
PVB6 nRDcDGUpgrade naar KadastraleKaart Pro
HRaKWWD Mh0alt5bs Upgrade naar KadastraleKaart Pro
s UysDb7Mndi2I2Upgrade naar KadastraleKaart Pro
21/11/2002

Percelen
Gebruik de zoekbalk of klik op een perceel om informatie over het perceel te bekijken.