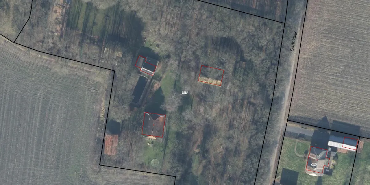
Perceel: HGL02-O-229
KadastraleKaart.com kan meer dan je denktOntdek meer ›
Filter op bestemming 50+ datasets Eigendomsdata in één klik Percelen CRM
13.360 m2 - 604 m
Eigenaar opvragen
HGL02-O-229 (Hengelo Gelderland)
- 7255 MS
50XGH53N6oGB8SYjL 3ZNalxdm7lLFXUpgrade naar KadastraleKaart Pro
Verkoopprijs opvragen
Bekijk op Street View
Download DWG/DXF/Excel
6VNHZ1BNnR6Upgrade naar KadastraleKaart Pro
UqwzvWtS7HxN koUpgrade naar KadastraleKaart Pro
aiqTF5qlrUpgrade naar KadastraleKaart Pro
it4Ah N8 rUpgrade naar KadastraleKaart Pro
rkXJoS JMEBgpENREj3FvdUpgrade naar KadastraleKaart Pro
ntX bbGJP NRHQIaIkrUpgrade naar KadastraleKaart Pro
uEXKcXEE 00rDCYu Upgrade naar KadastraleKaart Pro
aCxNUTfoUpgrade naar KadastraleKaart Pro
V5GO5 cVrAH5Fn6od3mUpgrade naar KadastraleKaart Pro
q kbry4oJ99qfZk6dUpgrade naar KadastraleKaart Pro
17/12/2003

Percelen
Gebruik de zoekbalk of klik op een perceel om informatie over het perceel te bekijken.