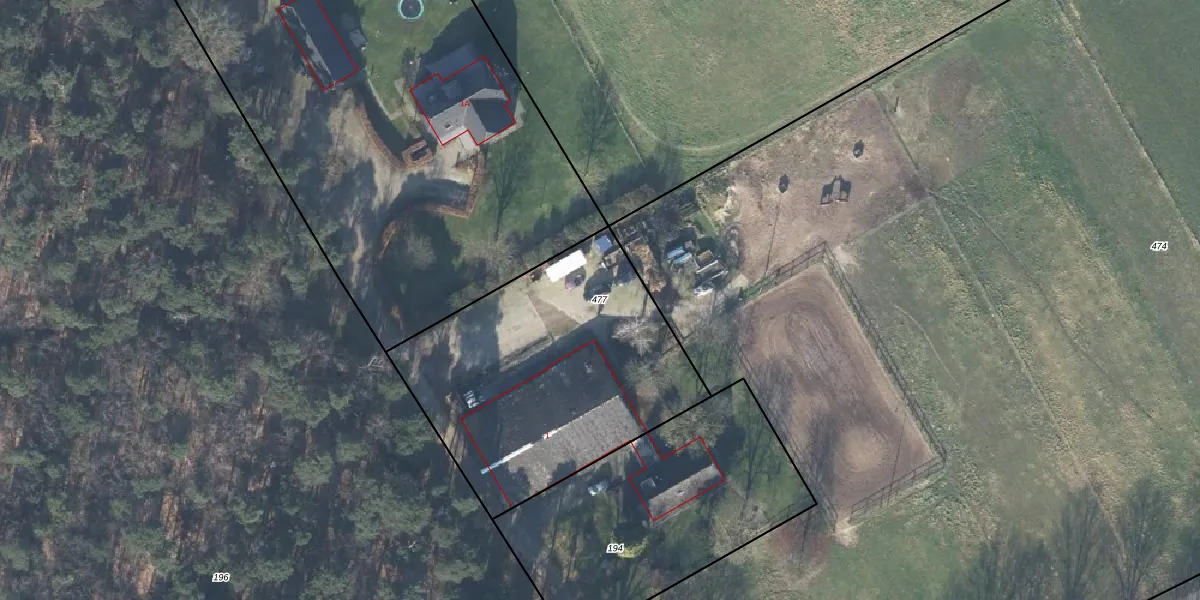
Perceel: HGL02-O-477
KadastraleKaart.com kan meer dan je denktOntdek meer ›
Filter op bestemming 50+ datasets Eigendomsdata in één klik Percelen CRM
Geen adressen bij dit perceel
1.400 m2 - 151 m
Eigenaar opvragen
HGL02-O-477 (Hengelo Gelderland)
- Geen postcode aanwezig
mUhcUleaZTBDLafUSs9HiDF IzyppUpgrade naar KadastraleKaart Pro
Bekijk op Street View
Download DWG/DXF/Excel
HJ6AWGXZKa3Upgrade naar KadastraleKaart Pro
2OPM4n 18Vsrxlx Upgrade naar KadastraleKaart Pro
1PkRNI 3YUpgrade naar KadastraleKaart Pro
EjbOpahO3MiA9 TNHST Upgrade naar KadastraleKaart Pro
oChdum0rGeVeUpgrade naar KadastraleKaart Pro
47AaYxW5632h5TtKynyCDgUpgrade naar KadastraleKaart Pro
rQOJfK1QUpgrade naar KadastraleKaart Pro
JU yfY yUpgrade naar KadastraleKaart Pro
1x89tZP xa TVwMUpgrade naar KadastraleKaart Pro
swSOuxeq8t2 WUpgrade naar KadastraleKaart Pro
11/08/2010

Percelen
Gebruik de zoekbalk of klik op een perceel om informatie over het perceel te bekijken.