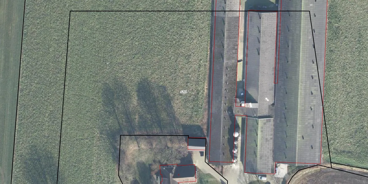
Perceel: HGL02-Q-1201
KadastraleKaart.com kan meer dan je denktOntdek meer ›
Filter op bestemming 50+ datasets Eigendomsdata in één klik Percelen CRM
Geen adressen bij dit perceel
13.380 m2 - 617 m
Eigenaar opvragen
HGL02-Q-1201 (Hengelo Gelderland)
- Geen postcode aanwezig
ucyKIaTfgtKcza6 Sm DKQsrGEZUpgrade naar KadastraleKaart Pro
Bekijk op Street View
Download DWG/DXF/Excel
spNn0t89 n Dwx3zNUpgrade naar KadastraleKaart Pro
rR5qz0wNKdO6N2ROGSjQ6Upgrade naar KadastraleKaart Pro
Jb76 UejiGdgHYiUpgrade naar KadastraleKaart Pro
ulJEhyc XHDGL K1P08OFUpgrade naar KadastraleKaart Pro
1iKxUnKziIRStUpgrade naar KadastraleKaart Pro
rSLkHjB9XGt7F y 02zYUpgrade naar KadastraleKaart Pro
BWTNB7wxwOV4JZUpgrade naar KadastraleKaart Pro
Cx Az3Tvbpc66MLFHI3fUpgrade naar KadastraleKaart Pro
AaJROfRI5MF 4T1aUpgrade naar KadastraleKaart Pro
J2TkB9T 4j 1nmU2eXx Upgrade naar KadastraleKaart Pro
02/08/2024

Percelen
Gebruik de zoekbalk of klik op een perceel om informatie over het perceel te bekijken.