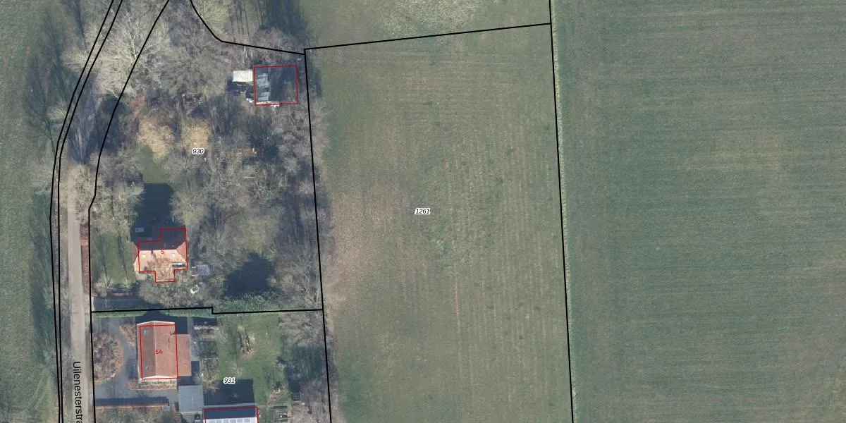
Perceel: HGL02-Q-1261
KadastraleKaart.com kan meer dan je denktOntdek meer ›
Filter op bestemming 50+ datasets Eigendomsdata in één klik Percelen CRM
Geen adressen bij dit perceel
9.380 m2 - 442 m
Eigenaar opvragen
HGL02-Q-1261 (Hengelo Gelderland)
- Geen postcode aanwezig
GkG9 PUDUTHqe aaSvm CxyvHntrmUpgrade naar KadastraleKaart Pro
Bekijk op Street View
Download DWG/DXF/Excel
bshBTahUQYG6mUpgrade naar KadastraleKaart Pro
xBe440PXSUpgrade naar KadastraleKaart Pro
6EOSVY6ZODbG F4k3utpUpgrade naar KadastraleKaart Pro
R5efp8IfUpgrade naar KadastraleKaart Pro
od5dQB0pufSvw2tiinnUpgrade naar KadastraleKaart Pro
lgMW 0SpUpgrade naar KadastraleKaart Pro
cKGE3PY5RiMLfCJtzhEnfBUpgrade naar KadastraleKaart Pro
6Lxzk3xdyuxpY1psjlcUpgrade naar KadastraleKaart Pro
fulboygW 4m8G6MpEoCx0Upgrade naar KadastraleKaart Pro
2XzNfAzOKBW 7nCavVO SCUpgrade naar KadastraleKaart Pro
17/10/2025

Percelen
Gebruik de zoekbalk of klik op een perceel om informatie over het perceel te bekijken.