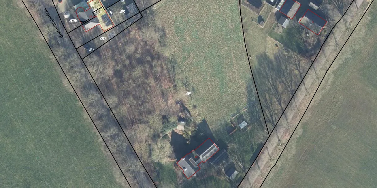
Perceel: HGL02-Q-427
KadastraleKaart.com kan meer dan je denktOntdek meer ›
Filter op bestemming 50+ datasets Eigendomsdata in één klik Percelen CRM
8.125 m2 - 385 m
Eigenaar opvragen
HGL02-Q-427 (Hengelo Gelderland)
- 7256 KH
h7ZNelMDJSflgH516S0pREaEh2w5 Upgrade naar KadastraleKaart Pro
Verkoopprijs opvragen
Bekijk op Street View
Download DWG/DXF/Excel
EauA4KOZfUpgrade naar KadastraleKaart Pro
gCHqhjyfNPU6TnUpgrade naar KadastraleKaart Pro
XTD5yowVUpgrade naar KadastraleKaart Pro
t87piluBJUpgrade naar KadastraleKaart Pro
5LbhfiZwuyUpgrade naar KadastraleKaart Pro
X6YPkmw0xWCUpgrade naar KadastraleKaart Pro
WSsoU9Hl61SPnS rO3PhyrkUpgrade naar KadastraleKaart Pro
6 7LKi6sGkjlAS 9xUpgrade naar KadastraleKaart Pro
BZS GXEzpUpgrade naar KadastraleKaart Pro
3LpxSmD LTIyT05A8w Upgrade naar KadastraleKaart Pro
29/11/2002

Percelen
Gebruik de zoekbalk of klik op een perceel om informatie over het perceel te bekijken.