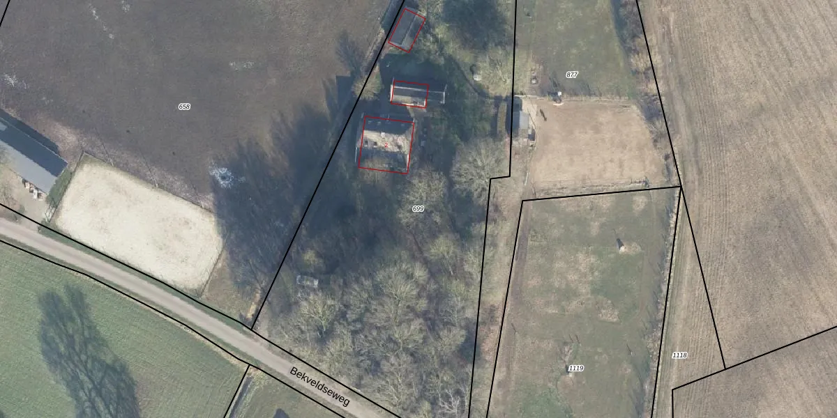
Perceel: HGL02-Q-699
KadastraleKaart.com kan meer dan je denktOntdek meer ›
Filter op bestemming 50+ datasets Eigendomsdata in één klik Percelen CRM
4.430 m2 - 315 m
Eigenaar opvragen
HGL02-Q-699 (Hengelo Gelderland)
- 7255 KG
b Yw78n Ka eoJ3 Fbgc2kpS0rvGvHpUpgrade naar KadastraleKaart Pro
Bekijk op Street View
Download DWG/DXF/Excel
4JLgV7Nz 4yD7iqAVolDUpgrade naar KadastraleKaart Pro
ikhWdFsXUpgrade naar KadastraleKaart Pro
IXrfbYSHUpgrade naar KadastraleKaart Pro
KrbcfcUCTJER0Upgrade naar KadastraleKaart Pro
joKyIdhddUpgrade naar KadastraleKaart Pro
TN3GuzMZzfMouUpgrade naar KadastraleKaart Pro
CkFxUBxYOkYupVsv Vs4Upgrade naar KadastraleKaart Pro
6ko 9zOUpgrade naar KadastraleKaart Pro
FtbVdtZ2g wUpgrade naar KadastraleKaart Pro
U CplvpCUC k 7hHpYmMIkUpgrade naar KadastraleKaart Pro
25/11/2008

Percelen
Gebruik de zoekbalk of klik op een perceel om informatie over het perceel te bekijken.