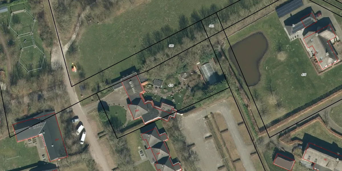
Perceel: HGL04-M-478
KadastraleKaart.com kan meer dan je denktOntdek meer ›
Filter op bestemming 50+ datasets Eigendomsdata in één klik Percelen CRM
2.155 m2 - 206 m
Eigenaar opvragen
HGL04-M-478 (Hoogeloon)
- 5528 NP
rvd 3MINw5J7da52 Upgrade naar KadastraleKaart Pro
Bekijk op Street View
Download DWG/DXF/Excel
pRyq0GJE55FOm 01Upgrade naar KadastraleKaart Pro
H2H3 HgJ0Upgrade naar KadastraleKaart Pro
J4ATLhznkUpgrade naar KadastraleKaart Pro
PDOD5c16 bUpgrade naar KadastraleKaart Pro
5hI4o 3ikujUQvFZAFYc6Upgrade naar KadastraleKaart Pro
ZbdPWoAmt2AhfzRCUpgrade naar KadastraleKaart Pro
Z 7O uqkv qVtfUpgrade naar KadastraleKaart Pro
2qE8I2bRhUpgrade naar KadastraleKaart Pro
N3xAyiUpgrade naar KadastraleKaart Pro
nyIoBSynQ1Xey YZYqUN8Upgrade naar KadastraleKaart Pro
12/05/2011

Percelen
Gebruik de zoekbalk of klik op een perceel om informatie over het perceel te bekijken.