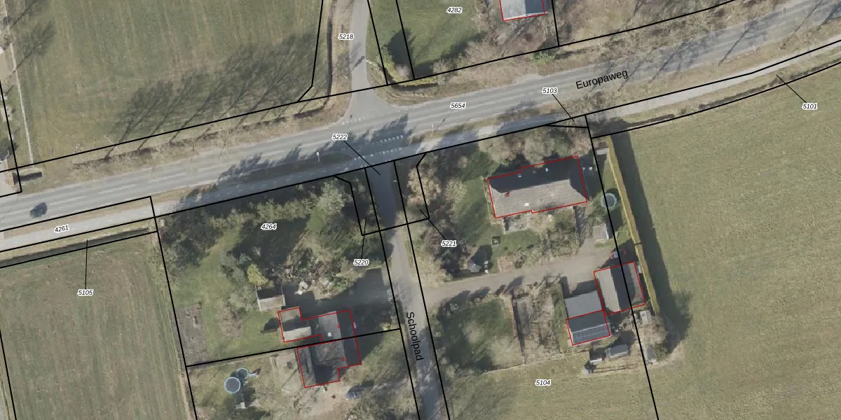
Perceel: HGV00-B-5221
Geen adressen bij dit perceel
87 m2 - 46 m
Eigenaar opvragen
HGV00-B-5221 (Hoogeveen)
- Geen postcode aanwezig
nO 9 X8 YzpSGPeqiL3dH vxUpgrade naar KadastraleKaart Pro
Bekijk op Street View
Download DWG/DXF/Excel
F FAsnYdVyxOo6o cltckFUpgrade naar KadastraleKaart Pro
VgoZh5749offJdLDv gUpgrade naar KadastraleKaart Pro
OwxWg035tM6XaaXv6PRUpgrade naar KadastraleKaart Pro
jYG tF573N15dLUpgrade naar KadastraleKaart Pro
bK7ZHN4Xwt66Gk A13r2dSDUpgrade naar KadastraleKaart Pro
CUoX0 ViDi kzGoM9GUpgrade naar KadastraleKaart Pro
S0e1a7apSyUpgrade naar KadastraleKaart Pro
EZadwY o8Elr6sEEHtWt VUpgrade naar KadastraleKaart Pro
nO95FQyBUpgrade naar KadastraleKaart Pro
MGsy L11jcib pddUpgrade naar KadastraleKaart Pro
13/10/2003

Percelen
Gebruik de zoekbalk of klik op een perceel om informatie over het perceel te bekijken.