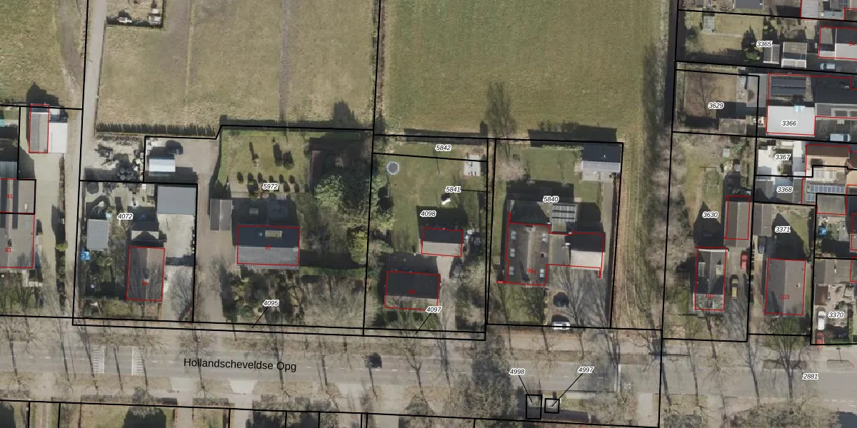
Perceel: HGV00-D-4098
KadastraleKaart.com kan meer dan je denktOntdek meer ›
Filter op bestemming 50+ datasets Eigendomsdata in één klik Percelen CRM
1.088 m2 - 136 m
Eigenaar opvragen
HGV00-D-4098 (Hoogeveen)
- 7913 VC
x7jzmUuuCGbVlB t7SHxUpgrade naar KadastraleKaart Pro
Verkoopprijs opvragen
Bekijk op Street View
Download DWG/DXF/Excel
Rr nev id 3 Upgrade naar KadastraleKaart Pro
BBT pUmApgHJ4JLv9WUpgrade naar KadastraleKaart Pro
AbEbBkMfY0uD7hBUpgrade naar KadastraleKaart Pro
H wQj6IpkGD9eUpgrade naar KadastraleKaart Pro
iBH mrvBSjtKT5 Wvff3Upgrade naar KadastraleKaart Pro
mbhjZO zm 0X6svUpgrade naar KadastraleKaart Pro
dpXU 64sJJ H7vXUpgrade naar KadastraleKaart Pro
G 0efVKWAuy BJk3OkCsUpgrade naar KadastraleKaart Pro
awnik VUpgrade naar KadastraleKaart Pro
3PUhCU0i1zufEC76oVDK Upgrade naar KadastraleKaart Pro
04/06/2009

Percelen
Gebruik de zoekbalk of klik op een perceel om informatie over het perceel te bekijken.