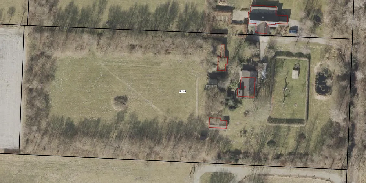
Perceel: HGV00-K-2118
KadastraleKaart.com kan meer dan je denktOntdek meer ›
Filter op bestemming 50+ datasets Eigendomsdata in één klik Percelen CRM
12.250 m2 - 501 m
Eigenaar opvragen
HGV00-K-2118 (Hoogeveen)
- 7911 TJ
Cn15f IuC5Wb5EZv4nXy0IKtdUpgrade naar KadastraleKaart Pro
Verkoopprijs opvragen
Bekijk op Street View
Download DWG/DXF/Excel
WDVi9k lNq8Vvmf q4qwbaUpgrade naar KadastraleKaart Pro
RBQyONqPb3 sRXuUpgrade naar KadastraleKaart Pro
hetHGH06S vgDu TTAYCUpgrade naar KadastraleKaart Pro
nAN LeAUpgrade naar KadastraleKaart Pro
7RuHPnO8kQrteGJFWuiuZ1TUpgrade naar KadastraleKaart Pro
kwhYXdYwOnrVj3mzu7SsUpgrade naar KadastraleKaart Pro
b5is82ETSoNENtwWh tHUpgrade naar KadastraleKaart Pro
f0ymAHhQA cioUpgrade naar KadastraleKaart Pro
eTMD6BT0RQbXUpgrade naar KadastraleKaart Pro
qnzaFrL7Upgrade naar KadastraleKaart Pro
21/10/2008

Percelen
Gebruik de zoekbalk of klik op een perceel om informatie over het perceel te bekijken.