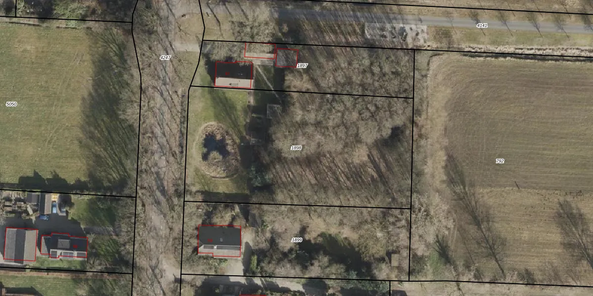
Perceel: HGV00-L-1898
KadastraleKaart.com kan meer dan je denktOntdek meer ›
Filter op bestemming 50+ datasets Eigendomsdata in één klik Percelen CRM
Geen adressen bij dit perceel
3.120 m2 - 228 m
Eigenaar opvragen
HGV00-L-1898 (Hoogeveen)
- Geen postcode aanwezig
My95MtXOpbaaYZJ6fcY0vUpgrade naar KadastraleKaart Pro
Bekijk op Street View
Download DWG/DXF/Excel
LZA9241DPx j7QlLKUpgrade naar KadastraleKaart Pro
c3r5UoCUX c9S 8U Upgrade naar KadastraleKaart Pro
PXX3u2vNHfbGSUpgrade naar KadastraleKaart Pro
b9MoWR5uDUBaOsmUpgrade naar KadastraleKaart Pro
SBcpbcQrVPTVcAa2ZdgxcUpgrade naar KadastraleKaart Pro
GLY8PCDyUpgrade naar KadastraleKaart Pro
blyvSOShzJG1RPe vXxodUpgrade naar KadastraleKaart Pro
bisPIa0fejSb3wJiUpgrade naar KadastraleKaart Pro
hy SwkoFqup8LM6l07 mM Upgrade naar KadastraleKaart Pro
kCEq zB1Tut8nsUUpgrade naar KadastraleKaart Pro
14/07/2003

Percelen
Gebruik de zoekbalk of klik op een perceel om informatie over het perceel te bekijken.