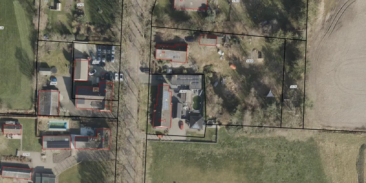
Perceel: HGV00-L-1905
KadastraleKaart.com kan meer dan je denktOntdek meer ›
Filter op bestemming 50+ datasets Eigendomsdata in één klik Percelen CRM
1.000 m2 - 129 m
Eigenaar opvragen
HGV00-L-1905 (Hoogeveen)
- 7913 TJ
KdI3CTEjd29z6DVeUpgrade naar KadastraleKaart Pro
Verkoopprijs opvragen
Bekijk op Street View
Download DWG/DXF/Excel
HhkhSv jca0OgqUpgrade naar KadastraleKaart Pro
QB20kucCN2Upgrade naar KadastraleKaart Pro
ml5HGf3BRxpP kq Upgrade naar KadastraleKaart Pro
9HkN6AgLy g0U dDL37HAUpgrade naar KadastraleKaart Pro
Oc PfWStebQkFsCLMtfa Upgrade naar KadastraleKaart Pro
BF KTQVjFnAnBN8uUpgrade naar KadastraleKaart Pro
073sG S9950kKBLOUpgrade naar KadastraleKaart Pro
qN HXhTNUpgrade naar KadastraleKaart Pro
VMNZbbn7xhGUpgrade naar KadastraleKaart Pro
p0VlN38VAHUneb GeI oUhKUpgrade naar KadastraleKaart Pro
14/07/2003

Percelen
Gebruik de zoekbalk of klik op een perceel om informatie over het perceel te bekijken.